Skip to main navigation Zum Hauptinhalt springen Skip to page footer

Geschichte des Stadtteils Auerberg

Zuflucht für Aussätzige und Fürsorge für Jugendliche

Die ältesten Siedlungsspuren reichen bis in die späte Hallstadtzeit (Grabfund von ca. 500 v.Chr.) zurück. Im Umfeld des Römerlagers und der römischen Straße nach Köln gelegen, war das Gebiet sicherlich schon früh landwirtschaftlich genutzt. Im Bereich der Klosterkirche des Redemptoristenordens an der Kölnstraße 415, die selbst erst 1887 vollendet worden ist, finden sich Hinweise auf mittelalterliche Einrichtungen. Denn eine kleine Statue des Hl. Lazarus, dem Fürsprecher für die Aussätzigen, in einem Bildstock an der Außenwand der Kirche verweist auf die ursprüngliche Nutzung des Geländes: Hier, weit vor der Stadt, befand sich wohl schon seit dem 14. Jh. ein Anwesen für Leprakranke („Siechenhaus“) mit einer Kapelle.

Der „Katholische Verein Bonn“ errichtete dann seit 1868 Zug um Zug die große „Unterrichts- und Erziehungsanstalt St. Joseph auf der Höhe“, die mittellosen Jugendlichen zu einer handwerklichen Ausbildung verhalf. Während des Ersten Weltkriegs musste diese Einrichtung wegen finanzieller Probleme schließen. Es war ein Zufall, dass 1920 der Redemptoristenorden mit seiner namensgleichen Schule, dem Collegium Josephinum, in die Gebäude einzog und bis heute nutzt.

Hochgericht und Nordfriedhof

Auf alten Karten finden sich unweit der Kölnstraße die Wegenamen „Gerichtsweg“ und „Galgenpfad“. Diese Wege führten zum Schindanger und Bonner Hochgericht mit Galgen und Rädern (bis Ende des 18. Jh. genutzt) am Südrand des viel später angelegten Nordfriedhofs. Denn der entstand erst ab 1884 und stellt mit seinen Erweiterungen heute den größten Friedhof Bonns dar. Von 1980 bis 1992 (Verlegung des Bundeshauptstadtsitzes nach Berlin 1991) fanden hier im Rahmen von offiziellen Staatsbesuchen auch die Kranzniederlegungen am Mahnmal „Den Opfern der Kriege und Gewaltherrschaft“ statt. Mehrere Wege aus dem Umland führten zur Wind- und benachbarten Wassermühle am Rheindorfer Bach, die wohl schon seit dem Mittelalter bis zu ihrem Abbruch 1899 in Betrieb waren. Im Umfeld des Nordfriedhofs wuchsen entlang der Kölnstraße die ersten Wohnhäuser, bis 1913 sechs Gebäude mit ca. 40 Einwohnern. Seit 1906 stand den Bürgern der Bahnhof „Bonn-Nord“ der Rheinuferbahn zur Verfügung. Die Bahntrasse verlief bis 1968 auf der Rückseite des Nordfriedhofs und ist im Gelände bis Buschdorf erkennbar geblieben; der Bahnhof stand etwa am Ende der heutigen Friedrich-Wöhler-Straße/Ecke Nordfriedhof. Dieser Bahnanschluss begünstigte 1917 die Ansiedlung eines Eisenwalzwerks, das 1927 von der „Vereinigte Leichtmetallwerke GmbH“ übernommen wurde und trotz mehrerer Eigentümerwechsel auch gegenwärtig („Norsk Hydro“) der Aluminiumverarbeitung treu geblieben ist.

Industriegebiet in Hafennähe?

Der Erste Weltkrieg und die frühen Jahre der Weimarer Republik hatten für Bonn schwerwiegende wirtschaftliche Folgen. Infolge der katastrophalen Inflation waren viele ursprünglich vermögende Familien verarmt, deren Steueraufkommen der Stadt jetzt fehlte. Die Ansiedlung von Industrie sollte da Abhilfe schaffen. Was heute Auerberg darstellt, gedachte man nach einem Plan von 1924 komplett als Industriegelände zu nutzen, von der Josefshöhe bis zum Engländerweg! 1924 war ebenso der Rheindorfer Hafen als Nachfolger kleiner Vorgänger vor der Stdtmauer fertiggestellt und mit einer eigenen „Werftbahn“ mit der Rheinuferbahn und dem Verschiebebahnhof Buschdorf (1974 eingestellt) verbunden worden. (Die Trasse ist als Graben neben der Saarbrückener Straße und gern genutzter Radweg bis zum heutigen Rheindorfer Hafen noch vorhanden.)

Die „Nordrandsiedlung“

Aber kein einziges Industrieunternehmen siedelte sich da an, wo heute rund 10.000 Menschen leben. Dem Reichsheimstättengesetz von 1920 war es zu verdanken, dass die Stadt Bonn 1933 zunächst erwerbslosen Handwerkern Erbpachtgrundstücke anbot, wenn sie sich in Eigenleistung bescheidene „Siedlerhäuser“ bauten und auf 800 bis 1000 qm Land Selbstversorgung und Kleintierhaltung betrieben. Bis zum Beginn des Zweiten Weltkriegs wuchsen entlang der heutigen Eupener, Allensteiner, Flensburger und Saarbrückener Straße 130 Häuser für die meist kinderreichen Familien. Hinzu kamen ab 1937 weitere Häuser an der Richthofenstraße. In dieser „Nordrandsiedlung“ lebten 1939 fast 1.000 Einwohner.

Während des Krieges suchten die Menschen Schutz in einem 14 Meter tiefen Stollensystem zwischen Eupener, Allensteiner und Kölnstraße, das heute verschüttet ist, aber dessen Zugangsgebäude noch erhalten sind („Buscher Plätzchen“ in der Allensteiner Straße, Schützenhaus an der Kölnstraße 584). Dankbar, den Bombenkrieg relativ unbeschadet überstanden zu haben, errichteten einige Bürger 1953 zwischen Werftbahn und Buschdorfer Kirchweg das „Heiligenhäuschen“, das heute unter Denkmalschutz steht.

Im Zeichen der Bundeshauptstadt

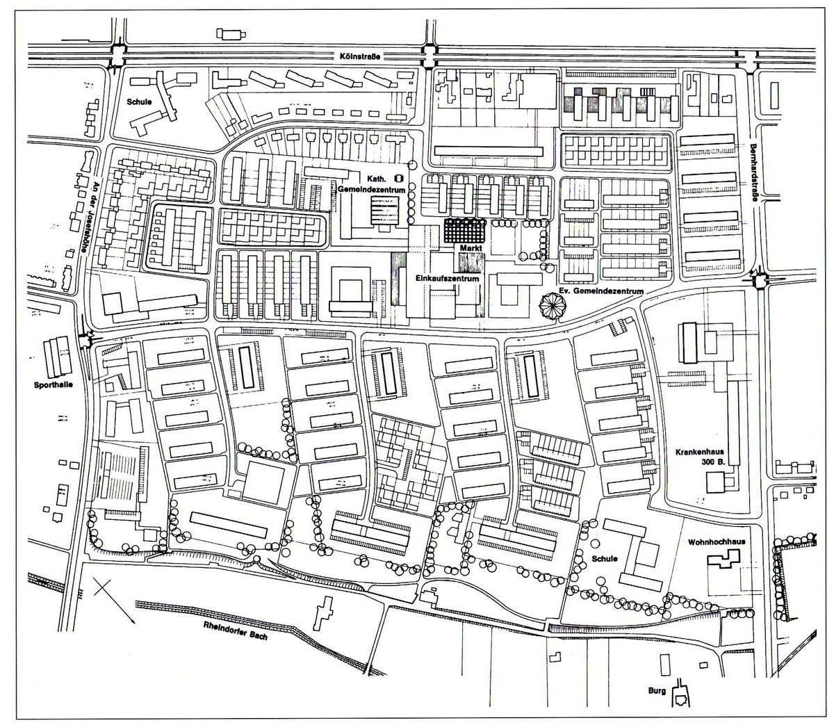
Der Bau der katholischen St.Bernhard-Kirche am Rand der Nordrandsiedlung 1955/56 markierte einen wichtigen Schritt in der weiteren Entwicklung der Besiedlung. Infolge reger Bautätigkeit war die Einwohnerzahl bis 1961 gegenüber 1939 nahezu verdoppelt (1.828 E.) und sie verdoppelte sich bis 1970 erneut auf 3.780. Die Bebauung der Seehausstraße und die Bungalow-Siedlung links und rechts der Flensburger Straße waren hinzugekommen. Wäre der Plan des Jahres 1963 komplett umgesetzt worden, das gesamte freie Feld zwischen Josefshöhe, Köln- und Kopenhagener Straße massiv zu bebauen (vergleichbar Neu-Tannenbusch), hätte man bald mindestens weitere 15.000 Einwohner gehabt. Wo sich heute die Bernhardschule, der Bürgerplatz und das „Studierendenwohnheim Pariserstraße“ befinden, plante man damals ein Wohnhochhaus und Krankenhaus mit 300 Betten. Der Standort des Evangelischen Gemeindeforums Auerberg (1974 eingeweiht) entspricht beinahe dem Plan.

Links und rechts der heutigen Auerberger Allee stellte man sich im Rückraum der Richthofenstraße ein katholisches Gemeindezentrum und gegenüber einen Marktplatz mit Einkaufszentrum vor. Tatsächlich umgesetzt wurde die mehrgeschossige Bebauung im Bereich der Londoner, Stockholmer und Brüsseler Straße. Gegenüber dem Hauptzugang zum Nordfriedhof entstand an der Kölnstraße 1971 ein Dienstleistungszentrum mit Geschäften, Sparkasse, Post, Ärzten, Apotheke usw.. 1980 zählte man in Auerberg 6.028 Einwohner. Das Wachstum der Bundeshauptstadt Bonn fand so auch in Auerberg seinen Widerhall. 

Auerberg wird erwachsen

In den dann folgenden 30 Jahren nahm man Abstand vom Hochhausbau und erschloss dagegen Bauland überwiegend für Reihenhäuser (Osloer Straße, Umgebung der Dubliner und Klemens-Hofbauer-Straße). Die Verlängerung der Straßenbahnlinie 61 von Graurheindorf über die Josefshöhe und Pariser Straße bis zur Kopenhagener Straße deutete schon 1994 an, wo Auerberg gemäß Plänen von 1988 seine neue, wiederum verdichtete Mitte mit einem Platz und umgebenden Geschäften finden sollte. Das dauerte jedoch noch bis 2015/16.

Was dem günstig zur Innenstadt und rheinnahen Erholungsflächen gelegenen vitalen Stadtteil noch fehlt, sind Räumlichkeiten für Begegnungen zwischen den Menschen aus über 100 Nationen. In Auerberg lässt es sich aber gegenwärtig (2020) für fast genau 10.000 Einwohner gut leben, wenn man auch weiterhin aufeinander zu- und freundlich miteinander umgeht.

Literatur:

1. Franz Grünkorn, Jürgen Haffke, Florian Becker, Michael Dietrich: Bonns Nordwesten. Stationen der Entwicklung von Auerberg, Buschdorf, Graurheindorf und Tannenbusch. Bonn 1988, 2.Aufl. 1989.

2. Renate Schoene, Karl Wilhelm Starcke, Ruthild Stein (Hrsg.): Bonn-Auerberg. Gestern – heute – morgen. Mit Beiträgen von Auerberger Bürgerinnen und Bürgern. Bonn-Auerberg 1992.

3. Jürgen Haffke: Die Nordrandsiedlung im Zweiten Weltkrieg. In: Dat Blättche. Nachrichten aus Auerberg und Graurheindorf, Winter 2015, S. 15-20; Frühjahr 2016, S. 3/4

4. Marco Eissing, Alfred Körbel u.a.: Integriertes Entwicklungskonzept (IEK) für Bonn-Auerberg. Hrsg. v. d. Bundesstadt Bonn. Bonn 2018.

5. Karl Hoch: Grau-Rheindorf. Heimatbuch eines Bonner Vorortes. 1149 – 1949. Bonn 1949.

                                                                                                                    Dr. Jürgen Haffke