Willkommen zu den ausführlichen Informationen über die "Historischen Punkte Auerberg"
Wir freuen uns über Ihr Interesse. Wenn Sie mögen, erfahren Sie hier zunächst ein wenig über die Projektbeschreibung und über das Projektziel:
Bonns Stadtstruktur ergibt sich aus dem Nebeneinander eines historisch gewachsenen Kerns (Bonn-Innenstadt), eingemeindeten gewachsenen Dörfern (Graurheindorf, Buschdorf, Endenich usw.), Wachstumszonen und aufgefüllten Zwischenflächen (Nordstadt, Weststadt, Südstadt, Raum zwischen dem Kern und den Dörfern) und regelrecht neu angelegten Stadtteilen (Tannenbusch, Auerberg usw.). Während die gewachsenen, jahrhundertalten Siedlungen (Kern und Dörfer) über identitätsstiftende Bauten, Straßen und Plätze verfügen, die ein historisches Bewusstsein entstehen lassen, ist das bei den Zwischenflächen und den neu angelegten Stadtteilen erheblich schwieriger. Dennoch verfügen auch sie über markante Zeugnisse ihrer historischen Entwicklung.
Diese Zeugnisse offenzulegen und Ihnen den Werdegang des jungen Bonner Stadtteils Auerberg näherzubringen, ist das Ziel der "Historischen Punkte".
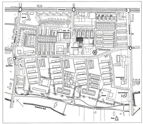
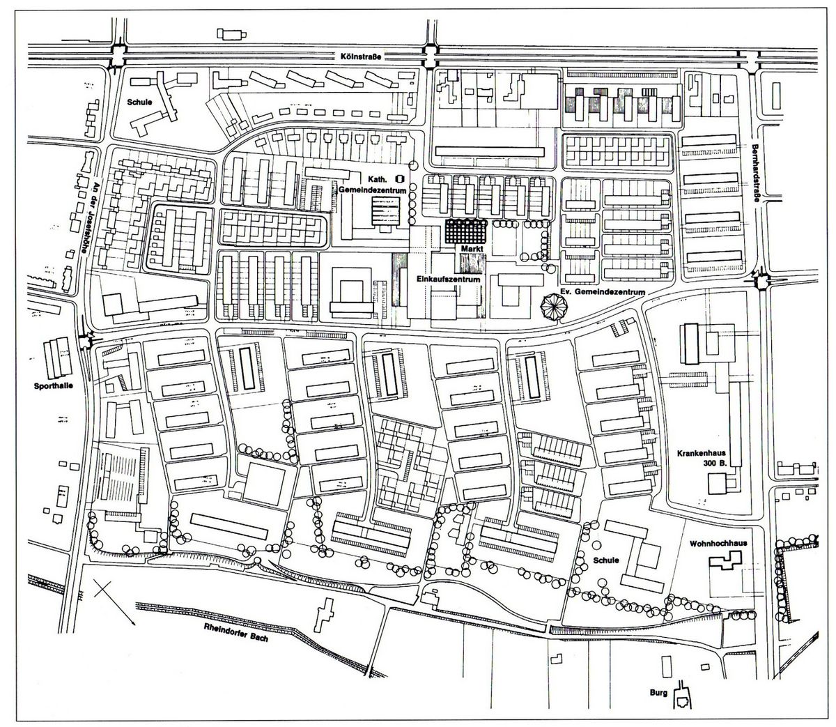
Die nachfolgende Karte zeigt Ihnen die Standorte der Stelen, und die Liste daneben nennt die Objektbezeichnungen mit den jeweiligen Adressen. Sowohl über die Liste als auch über die jeweiligen Punkte auf der Karte kommen Sie mit einem Klick direkt zum ausgewählten Objekt.
Wir wünschen viel Spaß beim Lesen!
Übersetzungen durch:
- Rudi Dopstadt (Englisch)
- Erva Besparmak (Türkisch)
- Judy Shhadi (Arabisch)
Gefördert durch:
Übersicht historische Punkte Auerberg
- #1: Platz Auerberger Mitte – Teil der Auerberger Allee
- #2 Klosterkirche – Auerbergs ältester besiedelter Punkt (Kölnstraße 415)
- #3: Nordfriedhof – Geschichtsträchtige, parkähnliche Anlage (Kölnstraße 487)
- #4: 100 Jahre Aluminium in Bonn-Auerberg 1921–2021 (Friedrich-Wöhler-Straße 2)
- #5: Nordrandsiedlung – Eine soziale Idee der Weimarer Republik (Rondell Flensburger Str. / Eupener Str.)
- #6: Katholische Kirche St. Bernhard – Eine Pfarrei im Wandel (Eupener Str. 26)
- #7: Luftschutzbunker – Spuren des 2. Weltkriegs (Kölnstr. 584)
- #8: Heiligenhäuschen – Wahrzeichen Auerbergs (Saarbrückener Straße/Fuß- u. Radweg Hafenbahn)
- #9: Terrassenlandschaft – Eine in Jahrmillionen geprägte Region (Ecke Hafenbahn Fuß- und Radweg / Buschdorfer Kirchweg / Auerbergweg)
- #10: Evangelisches Gemeindeforum – Vorbild vieler evangelischer Kirchbauten (Helsinkistr. 4)
- #11: Mühlenstumpf – Ein mit Leben erfülltes Denkmal (An der Rheindorfer Burg 9 und 22)
Bonns Stadtstruktur ergibt sich aus dem Nebeneinander eines historisch gewachsenen Kerns (Bonn-Innenstadt), eingemeindeten gewachsenen Dörfern (Graurheindorf, Buschdorf, Endenich usw.), Wachstumszonen und aufgefüllten Zwischenflächen (Nordstadt, Weststadt, Südstadt, Raum zwischen dem Kern und den Dörfern) und regelrecht neu angelegten Stadtteilen (Tannenbusch, Auerberg usw.). Während die gewachsenen, jahrhundertalten Siedlungen (Kern und Dörfer) über identitätsstiftende Bauten, Straßen und Plätze verfügen, die ein historisches Bewusstsein entstehen lassen, ist das bei den Zwischenflächen und den neu angelegten Stadtteilen erheblich schwieriger. Dennoch verfügen auch sie über markante Zeugnisse ihrer historischen Entwicklung.
Diese Zeugnisse offenzulegen und Ihnen den Werdegang des jungen Bonner Stadtteils Auerberg näherzubringen, ist das Ziel der "Historischen Punkte".
Die nachfolgende Karte zeigt Ihnen die Standorte der Stelen, und die Liste daneben nennt die Objektbezeichnungen mit den jeweiligen Adressen. Sowohl über die Liste als auch über die jeweiligen Punkte auf der Karte kommen Sie mit einem Klick direkt zum ausgewählten Objekt.
Wir wünschen viel Spaß beim Lesen!
#1: Platz Auerberger Mitte – Teil der Auerberger Allee
Gemessen an seinen Nachbarn Bonn-Castell, Graurheindorf und Buschdorf hat Auerberg gerade erst seine Jugend hinter sich. Viele Jahrhunderte prägen das Bild dort, rund 100 Jahre hier. Seinen Namen trägt Auerberg seit 1966, abgeleitet aus alten Flurbezeichnungen links und rechts der schon römischen Kölnstraße. Der Name charakterisiert treffend die landschaftliche Lage gegenüber dem nahen Rhein: Man wohnt hier knapp 60 Meter über dem Meeresspiegel und ca. 15 Meter über dem Normalwasserstand des Rheins auf dessen Älteren Niederterrasse, etwas oberhalb der teilweise von Hochwasser bedrohten Jüngeren Niederterrasse. Der Rheindorfer Bach und in seiner Verlängerung die Kante der Älteren Niederterrasse zur Mulde des Rhein-Altarms (Auerbergweg) markieren die Grenze zu Graurheindorf. Der von Buschdorf kommende und zur Mondorfer Fähre führende Engländerweg ist nicht nur die Nordgrenze Auerbergs, sondern auch der Bundesstadt Bonn insgesamt. Die 1932 eröffnete erste deutsche Autobahn nach Köln (A 555) grenzt den Stadtteil gegenüber Tannenbusch ab. Seit 1966 bildet die Autobahn (A 565) vom Kreuz Bonn-Nord zur Nordbrücke (Friedrich-Ebert-Brücke) die Südgrenze zu Bonn-Nord und Bonn-Castell.
Über 10.000 Einwohner wissen nicht nur die günstige Verkehrslage zum Bonner Zentrum und den benachbarten Städten in der Region zu schätzen. Sie erfreuen sich ebenso der landschaftlich reizvollen Umgebung als Naherholungsgebiet. Auerberg verfügt über eine vielfältige Ausstattung an privater und öffentlicher Infrastruktur. Menschen aus über 110 Nationen haben hier ihr Zuhause gefunden. Mit seinen vielen Kindern ist Auerberg auch im wahrsten Sinne des Wortes ein junger Stadtteil Bonns.
Im Anflug vom Zentrum Bonns in Richtung Köln ergibt sich der Blick über ganz Auerberg. Die Autobahn 565 zur rechten Rheinseite (Vordergrund) grenzt den Stadtteil südlich zu Bonn-Nord und Bonn-Castell ab, die Bonn-Kölner-Autobahn bildet die West-Grenze zu Tannenbusch. Buschdorf beginnt im nördlichen Teil des Nordfriedhofs und erstreckt sich dann links der schnurgeraden, schon römischen Kölnstraße. Bonns Stadtgrenze nach Norden zu Bornheim-Hersel und damit auch Auerbergs Grenze (Hintergund) verläuft durch Ackerland und Apfelplantagen entlang des Engländerwegs, Richtung Mondorfer Fähre. Der Rheindorfer Bach mit seiner Grünzone und im weiteren Verlauf der Auerbergweg entlang der Älteren Niederterrassenkante zum ehemaligen Altarm des Rheins markieren die östliche Grenze zu Graurheindorf. Das Landschaftsschutzgebiet der Rheinaue-Nord bildet eine wichtige Frischluftschneise für Bonn und zugleich einen viel besuchten Raum für die Naherholung.
Der Ausschnitt aus dem Bonner Stadtplan von 1920 dokumentiert anschaulich die geringe Bebauung und das weitläufige Ackerland in dem Raum, der 100 Jahre später als „Bonn-Auerberg“ mehr als 10.000 Einwohnern ein Zuhause bieten wird.
Von der Kölnstraße mit dem Collegium Josephinum im Vordergrund reicht der Blick bis Graurheindorf und zum Rhein. Während seit den 1960er Jahren die Bebauung nach und nach stark zunahm, blieb die Auerberger Mitte bis Anfang der 2000er Jahre Ackerland. Zum Zeitpunkt der Aufnahme zählte Auerberg etwa 2000 Einwohner. Innerhalb weniger Jahre änderte sich dann das Bild grundlegend.
Von den ersten Plänen zur baulichen Gestaltung von Auerbergs Mitte Ende der 1980er Jahre dauerte es bis zu ihrer Umsetzung über 25 Jahre. 2015/16 war die Auerberger Allee mit ihrem zentralen Platz in der Auerberger Mitte fertig gestellt. Während die Ausstattung mit Geschäften des täglichen Bedarfs zufriedenstellend ist, bleiben Wünsche nach öffentlichen Räumlichkeiten für die Begegnung von Menschen zunächst ebenso offen wie nach einer einladenden Gestaltung des Platzes, z.B. durch Bepflanzung und Sitzgruppen. Ein "Integriertes Entwicklungskonzept (IEK) für Bonn-Auerberg" von 2018, 2019 überarbeitet, soll Wege weisen, bestehende Mängel zu beseitigen. Darüber hinausgehend erscheint die Idee reizvoll, ausgehend vom Nordfriedhof eine grüne Achse über die Auerberger Allee und den Lausacker bis zum Rhein führen, die damit auch eine durch Alleen und weitere Bepflanzung aufgewertete grüne Rheinaue-Nord anbinden würde. Nur ein Traum für die Zukunft?
Text: Jürgen Haffke 2022
Literatur & Quellen:
- Stadtarchiv und Stadthistorische Bibliothek Bonn
- Franz Grünkorn, Jürgen Haffke, Florian Becker, Michael Dietrich: Bonns Nordwesten. Stationen der Entwicklung von Auerberg, Buschdorf, Graurheindorf und Tannenbusch. Bonn 1988, 2. Aufl. 1989
- Renate Schoene, Karl Wilhelm Starcke, Ruthild Stein (Hrsg.): Bonn-Auerberg. gestern – heute – morgen. Mit Beiträgen von Auerberger Bürgerinnen und Bürgern. Bonn-Auerberg 1992
- Plan-lokal GbR (Marco Eissing, Alfred Körbel, Martin Radke, Hanna Speidel): Integriertes Entwicklungskonzept (IEK) für Bonn-Auerberg. Im Auftrag der Bundesstadt Bonn, Stadtplanungsamt und Amt für Soziales und Wohnen. Dortmund Mai 2018, überarbeitet März 2019
- Dat Blättche. Nachrichten aus Auerberg und Graurheindorf. Hrsg.: Ortsausschüsse Auerberg und Graurheindorf. Bonn 1995 ff (abrufbar mit Gesamtregister auf dieser Seite unter: https://www.bonn-auerberg.de/ortsteilzeitung-dat-blaettche/ausgaben)
Bonns Stadtstruktur ergibt sich aus dem Nebeneinander eines historisch gewachsenen Kerns (Bonn-Innenstadt), eingemeindeten gewachsenen Dörfern (Graurheindorf, Buschdorf, Endenich usw.), Wachstumszonen und aufgefüllten Zwischenflächen (Nordstadt, Weststadt, Südstadt, Raum zwischen dem Kern und den Dörfern) und regelrecht neu angelegten Stadtteilen (Tannenbusch, Auerberg usw.). Während die gewachsenen, jahrhundertalten Siedlungen (Kern und Dörfer) über identitätsstiftende Bauten, Straßen und Plätze verfügen, die ein historisches Bewusstsein entstehen lassen, ist das bei den Zwischenflächen und den neu angelegten Stadtteilen erheblich schwieriger. Dennoch verfügen auch sie über markante Zeugnisse ihrer historischen Entwicklung.
Diese Zeugnisse offenzulegen und Ihnen den Werdegang des jungen Bonner Stadtteils Auerberg näherzubringen, ist das Ziel der "Historischen Punkte".
Die nachfolgende Karte zeigt Ihnen die Standorte der Stelen, und die Liste daneben nennt die Objektbezeichnungen mit den jeweiligen Adressen. Sowohl über die Liste als auch über die jeweiligen Punkte auf der Karte kommen Sie mit einem Klick direkt zum ausgewählten Objekt.
Wir wünschen viel Spaß beim Lesen!
#2 Klosterkirche – Auerbergs ältester besiedelter Punkt (Kölnstraße 415)
Heute weist nur noch eine Nische in der Außenwand der Klosterkirche, die eine Figur des Hl. Lazarus, des Patrons der Aussätzigen, zeigt, darauf hin, dass sich hier seit dem Späten Mittelalter (älteste Erwähnung 1345) das Siechenhaus Bonns ("Leprosenhaus auf den Höhen") befunden hat. Viele kleine, kellerartige Räume beherbergten die an Lepra oder anderen Seuchen Erkrankten weit vor den Toren der Stadt bis Anfang des 18. Jahrhunderts. Abb. 2.1 zeigt die Lazaruskapelle vom Anfang des 17. Jahrhunderts, die wohl einen Vorgängerbau abgelöst hat. Daneben stand bis 1868 das bescheidene "Höhegütchen". Es waren die ersten Gebäude im Bereich des heutigen Auerberg. An die "Bonner Basis", eine Gedenktafel zur kartographischen Vermessung der Rheinlande 1847, wird gegenüber dem Eingang zur Klosterkirche erinnert.
1868 kaufte der sozial engagierte Katholische Verein Bonn das gesamte Anwesen des "Höhegütchens" einschließlich der Kapelle, um dort die "Unterrichts- und Erziehungsanstalt St. Joseph an der Höhe" zu errichten. Deren Ziel war es, "armen, verlassenen katholischen Knaben eine gute Erziehung in religiöser und in sittlicher Hinsicht, sowie den nötigen Unterricht in den für das spätere Leben notwendigen Kenntnissen angedeihen zu lassen, dass sie mit Gottes Gnade gute Christen und Bürger werden." 1872 nahm die Anstalt ihren Betrieb auf, die sich in der Folgezeit um weitere Wohn-, Werkstätten- und Unterrichtsgebäude beträchtlich vergrößerte (Abb. 2.2). Am Standort der Lazaruskapelle entstand 1883 bis 1887 die neugotische Kirche "St. Joseph auf der Höhe" (Architekt Heinrich Wiethase, geb.1833, gest.1893, auch Architekt der Stiftskirche), die heute wie die angrenzenden Gebäude unter Denkmalschutz steht. Auf dem Weg von der Stadt zum neuen Nordfriedhof (seit 1884) wurde sie eine beliebte Zwischenstation.
Wegen personeller und wirtschaftlicher Probleme veräußerte der Katholische Verein das große Anwesen 1920 an den Orden der Redemptoristen (1732 gegründet). Dieser hatte seine nur für den eigenen Ordensnachwuchs gedachte Schule "Collegium Josephinum" seit 1880 wegen des preußischen Kulturkampfes zunächst im niederländischen Vaals, unmittelbar an der Grenze zu Aachen, betrieben. Es war ein Zufall, dass auch hier der Hl. Josef Namenspatron war. Die Klosterkirche entwickelte sich für die allmählich wachsende Bevölkerung in der Umgebung zu einem wichtigen geistlichen Zentrum, wie sich auch die im Kloster lebenden Patres in das Leben der benachbarten Pfarreien einbrachten. Bald besuchten bis zu 200 "Juvenisten", d.h. im Ordensinternat lebende Jungen aus dem gesamten Reichsgebiet und kaum aus Bonn, die Schule. Von Januar 1940 bis März 1945 schlossen die Nationalsozialisten die Schule, betrieben dort zeitweilig ein Lazarett, eine Lehrerbildungsanstalt und schließlich ein Quartier für Polizei und den für Luftschutz zuständigen Sicherheitshilfsdienst. Im Dezember 1944 beschädigte eine Luftmine nicht nur das Schulgebäude stark, sondern kostete auch 14 Menschen das Leben. Mit dem amerikanischen Einmarsch am 08. März 1945 zogen wieder die Redemptoristen ein und nahmen im September erneut den Schulbetrieb auf. Im Gefolge der Erklärung Bonns zur provisorischen Bundeshauptstadt entstand in den städtischen Gymnasien ein Mangel an Plätzen, so dass sich das Collegium Josephinum auf Bitten der Stadt 1950 auch für externe Jungen öffnete, deren Berufsziel nicht mehr allein das Priestertum und der Ordenseintritt sein musste. In den folgenden Jahrzehnten wuchs die Schülerzahl von rund 200 (1950) auf etwa 800 (1980) an, während sich die Zahl der im Juvenat lebenden Jungen im gleichen Zeitraum so stark verringerte, dass man 1983 das Internat aufgab. Heute gibt es in ganz Deutschland nur noch drei Gymnasien für Jungen (Regensburg, Mainz und Bonn) und außerhalb Bayerns nur in Baden-Württemberg die Realschule in Ehingen und in Nordrhein-Westfalen die Realschule des Collegium Josephinum in Bonn. Ein beschämendes Kapitel der Schulgeschichte der fünfziger und sechziger Jahre bedeutet die erst 2010 bekannt gewordene Tatsache, dass auch im Internat des Collegium Josephinum einzelne Patres mehrere der ihnen anvertrauten Jungen sexuell missbraucht haben. Im Bewusstsein der tiefen seelischen Verletzung der Jungen ist der Orden bemüht, seiner Verantwortung gerecht zu werden. Gymnasium und Realschule erfreuen sich seit Jahrzehnten einer guten Nachfrage in Bonn und seinem Umland links und rechts des Rheins.
Der Bezug des Schulneubaus 1980 (Abb. 2.3) für das Gymnasium und die erst 1976 eingerichtete Realschule für Jungen hatte weitere Neu- und Umbauten am alten Gebäudekomplex zur Folge: Die Klosterkirche wurde 1981-83 umfassend renoviert, das alte Schulgebäude 1983 abgerissen, ein Jugendheim und ein neuer Wohnflügel für die Patres 1986 eingeweiht. Das alte Klostergebäude wurde zum Teil für betreutes Wohnen umgebaut, daneben der historische Werkstattflügel abgerissen und bis 2004 mit dem Seniorenwohnheim "Josefshöhe" neu bebaut (Abb. 2.4).
Nicolaus Christian Hohe überliefert um 1840 das Bild der Lazaruskapelle an der Kölnstraße mit Blick auf Bonn (im Hintergrund das Münster und die auf der Stadtmauer aufsitzende Windmühle). Quelle: Stadtarchiv und Stadthistorische Bibliothek Bonn
Im Kloster hängt das große Gemälde der "Unterrichts- und Erziehungsanstalt St. Joseph an der Höhe", das anschaulich den Gebäudebestand 1902 und das Leben auf der Kölnstraße dokumentiert.
Nur wenige Jahre (1980-1983) standen der Alt- und Neubau des Collegium Josephinum nebeneinander. Luftbild 02.09.1980, Ernst Friedrich Seydel.
Schulgebäude, Klosterkirche, Kloster und Seniorenheim bilden heute ein großes Ensemble am Ortseingang von Auerberg. Luftbild 02.05.2015, Collegium Josephinum.
Text: Jürgen Haffke 2022
Literatur & Quellen:
- Josef Dietz: Das Siechenhaus auf der Höhe. In: Heimatblätter für die Stadt Bonn. Beilage der Kölnischen Rundschau, Nr.11, November 1948, S.41–43
- Die Bonner Basis von 1847 als technik-geschichtliches Denkmal. Eine Dokumentation des Landesvermessungsamtes Nordrhein-Westfalen. Bonn-Bad Godesberg 1981
- P. Peter Niesemann, W. Zachert, Th. Nießen, Walter Dorn: St. Joseph auf der Höhe. Klosterkirche der Redemptoristen. Faltblatt. Bonn 1983
- Wittkugel, F.: Die Unterrichts- und Erziehungsanstalt St. Joseph a.d. Höhe in Bonn. Ein Beitrag zur Jugendfürsorge. 2. Aufl., Bonn 1910
- Collegium Josephinum (Hrsg.), Jürgen Haffke (Red.): 125 Jahre Collegium Josephinum Bonn 1880–2005. Bonn 2005
- P. Peter Niesemann: 100 Jahre Redemptoristenkloster Bonn 1920-2020. In: Collegium Josephinum, Jahrbuch 2019/20, Bonn 2019, S.33–45
- Jürgen Haffke, Ulrich Lipperheide, Dirk Berger: 100 Jahre Collegium Josephinum in der Schullandschaft Bonns und seines Umlands 1920-2020. In: Collegium Josephinum, Jahrbuch 2019/20, Bonn 2019, S.46–61
Bonns Stadtstruktur ergibt sich aus dem Nebeneinander eines historisch gewachsenen Kerns (Bonn-Innenstadt), eingemeindeten gewachsenen Dörfern (Graurheindorf, Buschdorf, Endenich usw.), Wachstumszonen und aufgefüllten Zwischenflächen (Nordstadt, Weststadt, Südstadt, Raum zwischen dem Kern und den Dörfern) und regelrecht neu angelegten Stadtteilen (Tannenbusch, Auerberg usw.). Während die gewachsenen, jahrhundertalten Siedlungen (Kern und Dörfer) über identitätsstiftende Bauten, Straßen und Plätze verfügen, die ein historisches Bewusstsein entstehen lassen, ist das bei den Zwischenflächen und den neu angelegten Stadtteilen erheblich schwieriger. Dennoch verfügen auch sie über markante Zeugnisse ihrer historischen Entwicklung.
Diese Zeugnisse offenzulegen und Ihnen den Werdegang des jungen Bonner Stadtteils Auerberg näherzubringen, ist das Ziel der "Historischen Punkte".
Die nachfolgende Karte zeigt Ihnen die Standorte der Stelen, und die Liste daneben nennt die Objektbezeichnungen mit den jeweiligen Adressen. Sowohl über die Liste als auch über die jeweiligen Punkte auf der Karte kommen Sie mit einem Klick direkt zum ausgewählten Objekt.
Wir wünschen viel Spaß beim Lesen!
#3: Nordfriedhof – Geschichtsträchtige, parkähnliche Anlage (Kölnstraße 487)
Nichts weist mehr darauf hin, dass sich im südlichen Teil des heutigen Nordfriedhofs seit dem Hochmittelalter jahrhundertelang der Schindanger zur Beseitigung von Hingerichteten und Tierkadavern und – zur Abschreckung nahe der Kölnstraße – auch der Bonner Galgen befunden hat. 1777 fanden die letzten Hinrichtungen statt. Erst ein Blick auf die alten Wegenamen verrät etwas über dieses Kapitel der Geschichte (Abb. 3.1): Der "Gerichtsweg" belegt die Existenz des Hochgerichts ebenso wie der "Galgenpfad".
Nachdem in Mittelalter und Früher Neuzeit Bestattungen zumeist auf Kirchhöfen innerhalb der Stadt vorgenommen worden waren, hatte der Kurfürst Joseph Clemens 1715 den "Neuen Friedhof" außerhalb der Stadtmauern anlegen lassen, der infolge des starken Wachstums der Stadt im 19.Jh. trotz einiger Erweiterungen schon 1884 belegt war und seitdem zum "Alten Friedhof" wurde. In jenem Jahr konnte man weit vor der Stadt auf 8 ha an der Kölnstraße diesen neuen Friedhof mit ca. 15.000 Begräbnisplätzen einweihen. Er war parkartig angelegt (Abb. 3.2). Sein inzwischen alter Baumbestand und aufwendige Grabdenkmäler sind bis heute eindrucksvolle Zeugen jener Zeit. Schon 1900 wurde die Friedhofsfläche verdoppelt. Die Anlage des Bonner "Südfriedhofs" 1910 in Dottendorf führte seitdem zum Namen "Nordfriedhof". 1913/14 entstanden die Friedhofskapelle und das monumentale Eingangstor an der Kölnstraße. Es trug die Widmung "Resurrecturis" (lat. Denen, die auferstehen werden). Wegen seiner wuchtigen Erscheinung nannte der Volksmund es das "Ägyptische Portal" (Abb. 3.3). Infolge geplanter, dann aber nicht eingerichteter Parkplätze wurde der Torbogen 1962 abgerissen. Eine Wiederherstellung auf den noch vorhandenen Pfeilern war beabsichtigt, ist aber bis heute nicht umgesetzt worden.
Die Inbetriebnahme der Bonn-Kölner Rheinuferbahn 1906, die bis zu ihrer Verlegung über Tannenbusch 1968 unmittelbar hinter dem Nordfriedhof entlang führte, erleichterte seit 1917 mit einem eigenen Bahnhof "Bonn-Nord" an der Südwestecke die Erreichbarkeit des Friedhofs von der Stadt her erheblich. Ein benachbartes Eisenwerk (seit 1927 Leichtmetallwerk) hatte den Haltepunkt bedingt. Der Erste Weltkrieg (1914-18) forderte nicht nur für die Bestattung der zivilen Bonner Opfer, sondern auch der In Lazaretten verstorbenen Soldaten, Kriegsgefangenen und Angehörigen der Besatzungstruppen die Anlage eines Ehrenfriedhofs, der aber erst nach 1933 gestaltet wurde. Noch war die von Ackerland geprägte Umgebung nur geringfügig bebaut, ehe 1933 bis 1939 rund 1.000 Menschen die "Nordrandsiedlung" und Häuser an der Richthofenstraße bezogen.
Für weitere ca. 2000 Tote des Zweiten Weltkriegs (1939-45) in Bonn, seien es Soldaten, Kriegsgefangene, Fremdarbeiter oder zivile Opfer des Bombenkriegs, wurde der Ehrenfriedhof 1949 überholt und 1966 neu gestaltet. 1980 erfolgte die Verlegung des "Mahnmals für die Opfer der Kriege und der Gewaltherrschaft" vom Hofgarten auf den Ehrenfriedhof des Nordfriedhofs. Bis 1993 fanden hier auch die protokollarischen Kranzniederlegungen im Rahmen von Staatsbesuchen statt, die nach der deutschen Wiedervereinigung seitdem in der Neuen Wache in Berlin eine neue Gedenkstätte fanden. Planungen für ein Krematorium auf dem Nordfriedhof zerschlugen sich 1981 und auch 2000. Seit 1984 unter Denkmalschutz, wurde der Nordfriedhof 1988 erneut auf jetzt insgesamt 25 ha erweitert. Heute gehört der Nordfriedhof, Bonns größter Friedhof, zu Auerberg und seinen über 10.000 Einwohnern. Mit seinem schönen Baumbestand und gepflegten Anlagen bildet er den einzigen, auch botanisch und faunistisch wertvollen "Wald-Park" in der weiteren Umgebung (Abb. 3.4). In seinem Bild aber spiegeln sich zahlreiche Aspekte nicht allein der Bonner Geschichte. Angehörige vieler Nationen und unterschiedlicher Religionen sind hier, zum Teil auf eigenen Grabfeldern (z.B. seit 1987 Muslime, seit 2017 Chinesen u.a.), in fast 140 Jahren bestattet, viele alte Grabdenkmäler inzwischen aber abgeräumt worden, immer mehr Urnen- an die Stelle von Erdbestattungen getreten. Seit 1988 gibt es ein anonymes Gräberfeld, seit 2006 auch Urnengemeinschaftsgräber. Anlässlich des 100jährigen Bestehens des Nordfriedhofs hieß es 1984 in der Jubiläumsschrift: "Friedhöfe sind aufgeschlagene Geschichtsbücher." Wie wahr!
Alte Wege- und Flurnamen sowie weitere Zeugnisse der Geschichte in Auerberg. Quelle: Ruthild Stein 1992 nach Karl Hoch 1949.
Die Karte von 1893 dokumentiert die parkähnliche Anlage des Nordfriedhofs in einer nur geringfügig bebauten, von Ackerland geprägten Umgebung. Quelle: Topographische Karte 1:25.000, "Neuaufnahme", Blatt 5208, Ausgabe 1895, Landesvermessungsamt NRW.
Das Eingangstor zum Nordfriedhof an der Kölnstraße von 1913/14 verlor 1962 seinen monumentalen Torbogen durch Abriss. Man hatte Parkplätze geplant, dann aber nicht gebaut, so dass die Pfeiler bis heute stehen blieben. Foto: Stadtarchiv und Stadthistorische Bibliothek Bonn.
Das Luftbild vom 25. September 2021 dokumentiert anschaulich, wie der Nordfriedhof inzwischen eine "Waldinsel" bildet, die von der dichten Bebauung Auerbergs und der Stadt Bonn insgesamt umgeben ist. Foto: Jürgen Haffke.
Text: Jürgen Haffke 2022
Literatur & Quellen:
- Hansjörg Hunkler, Franz Grünkorn: Resurrecturis. Denen, die auferstehen werden. 1884–1984 Einhundert Jahre Nordfriedhof Bonn. Hrsg. Stadt Bonn, Garten- und Friedhofsamt. Bonn 1984
- Georg Schwedt: Der Bonner Nordfriedhof. Ruhestätte der Kulturen und Religionen – mit Geschichte seit 1884. Bonn 2024
Bonns Stadtstruktur ergibt sich aus dem Nebeneinander eines historisch gewachsenen Kerns (Bonn-Innenstadt), eingemeindeten gewachsenen Dörfern (Graurheindorf, Buschdorf, Endenich usw.), Wachstumszonen und aufgefüllten Zwischenflächen (Nordstadt, Weststadt, Südstadt, Raum zwischen dem Kern und den Dörfern) und regelrecht neu angelegten Stadtteilen (Tannenbusch, Auerberg usw.). Während die gewachsenen, jahrhundertalten Siedlungen (Kern und Dörfer) über identitätsstiftende Bauten, Straßen und Plätze verfügen, die ein historisches Bewusstsein entstehen lassen, ist das bei den Zwischenflächen und den neu angelegten Stadtteilen erheblich schwieriger. Dennoch verfügen auch sie über markante Zeugnisse ihrer historischen Entwicklung.
Diese Zeugnisse offenzulegen und Ihnen den Werdegang des jungen Bonner Stadtteils Auerberg näherzubringen, ist das Ziel der "Historischen Punkte".
Die nachfolgende Karte zeigt Ihnen die Standorte der Stelen, und die Liste daneben nennt die Objektbezeichnungen mit den jeweiligen Adressen. Sowohl über die Liste als auch über die jeweiligen Punkte auf der Karte kommen Sie mit einem Klick direkt zum ausgewählten Objekt.
Wir wünschen viel Spaß beim Lesen!
#4: 100 Jahre Aluminium in Bonn-Auerberg 1921–2021 (Friedrich-Wöhler-Straße 2)
Etwas abseits von den täglichen Wegen der meisten Einwohner Auerbergs erstreckt sich entlang der Friedrich-Wöhler-Straße ein großes Industriegelände zwischen der Rückseite des Nordfriedhofs und der Bonn-Kölner Autobahn (A 555). Seit 1918 hat hier die Metallverarbeitung ihren Platz, zunächst ein kleines Eisenwalzwerk ("Bonn Eisenindustrie GmbH"), das schon kurz vor Kriegsende im gleichen Jahr wieder geschlossen worden ist (Abb. 4.1).
Am 15. Juni 1921 kaufte die Erftwerk AG, Grevenbroich, sämtliche Anteile des stillgelegten Werks. Diese Firma wurde ab Juli 1922 zu einer 100-prozentigen Tochtergesellschaft der Vereinigten Aluminiumwerke (VAW, Fusion 1932), die hier zunächst unter dem Namen "Eisen- und Metallindustrie GmbH" mit knapp 60 Mitarbeitern ein Aluminiumblechwalzwerk betrieb. 1926 erfolgte der Ausbau zu einem großen Legierungswalzwerk (Aluminium-Legierung Lautal), das sich jetzt "Lautal Walzwerk GmbH" nannte und bald etwa 200 Mitarbeiter zählte.
Mit der Umbenennung in "Vereinigte Leichtmetall-Werke GmbH" am 01. März 1927 entstand der prägende Begriff, den man bis heute in Bonn mit dem Werk verbindet. Der Standort profitierte lange von seiner direkten Lage an der Rheinuferbahn, die hier von 1917 bis 1968 auch einen eigenen Haltepunkt "Bonn-Nord" besaß (Abb. 4.2). (Bis 2007 wurde der Gleisanschluss betrieblich genutzt.) Der Einsatz zunächst einer Strangpresse (ab 1929) und dann weiterer Pressen erlaubte die Herstellung von Stangen, Rohren und Profilen aus Aluminium und seinen Legierungen. Die Bandwalzen wurden ausgebaut. Auch die Eigenentwicklung hochfester Legierungen ("Bondur", "Albondur") erwies sich ab 1932 als sehr erfolgreich. Das Unternehmen war im wesentlichen auf Aufgaben im Flugzeugbau ausgerichtet. Rund 1.300 Beschäftigte waren hier vor dem Zweiten Weltkrieg tätig. Obwohl von den Alliierten als "kriegswichtiger Betrieb" eingestuft (Flugzeugteile, Bombenteile und –zünder), blieb das Werk von Bombentreffern verschont. Zur Aufrechterhaltung der Produktion waren ab 1941 zahlreiche zivile, vornehmlich ukrainische Zwangsarbeiter eingesetzt, die in einem Lager am Dellweg (Belegstärke 130 Personen) nahe der Kölnstraße gefangen gehalten wurden.
Nach Kriegsende 1945 erlebte man im Werk zunächst eine Demontage und ein vorübergehendes Produktionsverbot. Durch die Umsiedlung der Hauptverwaltung der VAW (seit 1923 eine Tochter des staatlichen VIAG-Konzerns) von Berlin nach Bonn in die direkte Nachbarschaft vom Leichtmetallwerk (Georg-von-Boeselager Str.25) erlebte der Standort bald wieder eine Stärkung. Nach den Jahren des Wiederaufbaus und erneuten Wachstums des Werks (etwa 1800 Beschäftigte in den 1960er Jahren) engagierte sich die Leichtmetall für ihre Beschäftigten auch wieder im Wohnungs- und Häuserbau in Auerberg (z.B. Bereich Brüsseler Straße), nachdem man schon Ende der 1930er Jahre den Häuserbau in der damals neuen Nordrandsiedlung (Saarbrückener Str.) unterstützt hatte (Abb. 4.3). Unternehmensinterne Umstrukturierungen in der Produktion (z.B. Verlagerung von Walzanlagen) führten zu einem Rückgang in der Belegschaft. Ende der 1980er Jahre waren noch etwa 700 Beschäftigte in der Produktion tätig.
Seit 1964 betont ein Leichtmetall-Forschungsinstitut unmittelbar neben der VAW-Hauptverwaltung die Bedeutung des Aluminiums für Bonn. 2002 kam das Institut in den Besitz der Hydro. Zum 01. Juni 2021 kaufte ein New Yorker Hedgefonds die Hydro. Seitdem firmiert die Bonner Niederlassung unter dem Namen "Speira". Der Investor Cube Real Estate hat dort gleichzeitig ein größeres Freigelände erworben, auf dem er einen Gewerbepark mit einigen Wohnungen einrichten möchte.
2002 erfolgte der Verkauf des gesamten VAW-Konzerns, der seit 2000 zum E.ON-Konzern gehörte, an Norsk Hydro, so dass die Hauptverwaltung in Bonn aufgegeben wurde. Aber schon 1996 hatte die VAW das Leichtmetallwerk an den niederländischen Hoogovens-Konzern verkauft, der 2000 mit British-Steel fusionierte und sich fortan "Corus Aluminium Profiltechnik Bonn GmbH" nannte. 2006 wechselte der Eigentümer erneut: Jetzt hieß man "Aleris Aluminium Bonn GmbH" (Abb. 4.4). 2014 nahm nach einem Teilverkauf des Werksgeländes eine große Verteilbasis der DHL für täglich 12.000 Pakete, in der rund 100 Mitarbeiter beschäftigt sind, ihren Betrieb auf. Aleris verkaufte 2015 seine Aluminiumsparte an die japanische Sankyo Tateyama, Inc., zu der "ST Extruded Products Germany" (STEP-G) mit seinem Bonner Werk (gegenwärtig über 300 Beschäftigte) gehört. In der Herstellung von Strangpressprofilen aus Aluminium ist die Firma weltweit führend. Gegenwärtig profitiert man von einem Großauftrag für VW zur Herstellung von Systemkomponenten für Elektrofahrzeuge, während man schon seit Jahren auch für den Bau der ICE-Züge einbaufertige Bauteile für den Aluminiumrohbau produziert. 2015 bis 2019 fanden über 200 Flüchtlinge vornehmlich aus den Kriegsgebieten Syriens vorübergehend Aufnahme in einem ehemaligen Verwaltungsgebäude neben dem Werk.
Ausschnitt Stadtplan 1920. Im roten Kreis markiert: Das kleine Eisenwalzwerk und der Haltepunkt "Bonn-Nord" der Rheinuferbahn. Quelle: Stadtarchiv und Stadthistorische Bibliothek Bonn.
Der Bahnhof "Bonn-Nord", 1917 – 1968 Auerbergs Anschluss an die Rheinuferbahn. Quelle: Sammlung Jean Riemann, Wesseling.
Die "Vereinigten Leichtmetallwerke" 1959 mit dem noch dünn besiedelten Auerberg, ohne trennende Autobahn 565 und Friedrich-Ebert-Brücke, die das Bild erst seit 1966/67 nachhaltig verändern. Quelle: Foto Hamburger Aero-Lloyd, Stadtarchiv und Stadthistorische Bibliothek Bonn.
Das Luftbild vom 31. August 2011 zeigt das Firmengelände, das damals zu "Aleris" gehört und 2015 an STEP-G verkauft wird. Die baumbestandene Grünfläche links von den Werksgebäuden ist seit 2014 mit einem großen Verteilzentrum der DHL bebaut. Der erste Bauabschnitt von Auerbergs Neuer Mitte mit den Lebensmittelläden steht schon. Quelle: Archiv STEP-G
Text: Jürgen Haffke, Horst Peters 2021
Literatur & Quellen:
- VAW Leichtmetall GmbH 50 Jahre für das Aluminium. Bonn 1977
- Horst Peters: Hundert Jahre VAW-Aluminium-Technologie. 2021
Bonns Stadtstruktur ergibt sich aus dem Nebeneinander eines historisch gewachsenen Kerns (Bonn-Innenstadt), eingemeindeten gewachsenen Dörfern (Graurheindorf, Buschdorf, Endenich usw.), Wachstumszonen und aufgefüllten Zwischenflächen (Nordstadt, Weststadt, Südstadt, Raum zwischen dem Kern und den Dörfern) und regelrecht neu angelegten Stadtteilen (Tannenbusch, Auerberg usw.). Während die gewachsenen, jahrhundertalten Siedlungen (Kern und Dörfer) über identitätsstiftende Bauten, Straßen und Plätze verfügen, die ein historisches Bewusstsein entstehen lassen, ist das bei den Zwischenflächen und den neu angelegten Stadtteilen erheblich schwieriger. Dennoch verfügen auch sie über markante Zeugnisse ihrer historischen Entwicklung.
Diese Zeugnisse offenzulegen und Ihnen den Werdegang des jungen Bonner Stadtteils Auerberg näherzubringen, ist das Ziel der "Historischen Punkte".
Die nachfolgende Karte zeigt Ihnen die Standorte der Stelen, und die Liste daneben nennt die Objektbezeichnungen mit den jeweiligen Adressen. Sowohl über die Liste als auch über die jeweiligen Punkte auf der Karte kommen Sie mit einem Klick direkt zum ausgewählten Objekt.
Wir wünschen viel Spaß beim Lesen!
#5: Nordrandsiedlung – Eine soziale Idee der Weimarer Republik (Rondell Flensburger Str. / Eupener Str.)
Den für das Bonner Steueraufkommen nach dem Ersten Weltkrieg verheerenden Wegfall vermögender Bevölkerungsteile (infolge der Inflation) beabsichtigte man eigentlich durch großflächige Ansiedlung von Industrie auszugleichen. Dafür hatte man auch beträchtliche Flächen zwischen Kölnstraße, Rhein und Bonns nördlicher Stadtgrenze vorgesehen. Eine Schlüsselrolle sollte dabei die "Werftbahn" spielen, die seit 1924 von der Rheinuferbahn ausgehend zum neuen Bonner Hafen in Graurheindorf führte. Man dachte an vier Stichbahnen, die das gesamte Gelände vom Obersten Höhweg (heute "An der Josefshöhe") bis zum Engländerweg erschließen sollten (Abb. 5.1). Die Verwirklichung dieses "Industriegeländes" scheiterte jedoch an den wirtschaftlichen Problemen der Weimarer Republik. Dennoch kam der Trasse der Werfbahn eine entscheidende Bedeutung zu: Sie definierte den nördlichen Rand für Bonns Bebauung.
"An den Rändern der Großstädte sollen Siedlungen und Schrebergärten entstehen für Arbeitslose", konnte man am 10. November 1931 in der Rheinischen Zeitung lesen. Auch wenn das Reichsheimstättengesetz der Weimarer Republik schon seit 1920 den Bau von Siedlungen für arbeitslose Handwerker unterstützte, hatte es in Bonn bis Ende 1931 gedauert, diese Möglichkeit auch zu nutzen. 1932/33 entstanden zunächst in Tannenbusch (Berta-Lungstras-Straße) und am Mondorfer Bach (Mondorfer Straße) insgesamt 40 Siedlerstellen in Selbsthilfe (Abb. 5.2, rote Kreise 1 und 2). 1933 musste der bisher freiwillige Zusammenschluss der Siedlungswilligen in der "Siedlergemeinschaft Bonn-Nord", der NS-Vorgabe folgend, Mitglied im "Deutschen Siedlerbund" werden. Im gleichen Jahr begann der Bau der "Nordrandsiedlung", wie man sie seitdem nennt (Abb. 5.2, roter Kreis 3). In drei Bauabschnitten wurden hier bis 1938 insgesamt 71 Doppelhäuser errichtet und auch deren Erschließung mit Straßen-, Strom- und Wasseranschluss, aber ohne Kanal, vollzogen. Zunächst waren es bis 1934 tatsächlich arbeitslose Handwerker, zudem kinderreich und ohne Eigenmittel. Mit eigener Hand bauten sie zwischen Köln- und Flensburger Straße entlang der Eupener- und Allensteiner Straße je nach Familiengröße zwei Haustypen (häufig nur teilunterkellert). Die städtischen Erbpachtgrundstücken besaßen eine Fläche von 800 – 1200 m2 (Abb. 5.3). Im zweiten Bauabschnitt kamen ab 1934 die Häuser in den Verlängerungen der Eupener und Allensteiner Straße jenseits der Flensburger Straße hinzu, deren Bauherren jedoch schon über Eigenmittel verfügen konnten. Zuletzt wurden 1936 - 1938 die Häuser entlang der Saarbrückener Straße gebaut, deren Bezieher durchweg Beschäftigte des Leichtmetallwerks waren und die Unterstützung ihres Arbeitgebers besaßen. Alle Häuser hatten einen Stall für Kleintierhaltung. Die Gärten dienten der Selbstversorgung (Abb. 5.4).
Unabhängig von der Nordrandsiedlung entstand 1936/37 durch die "Bonner Wohnungsgenossenschaft" auch die Bebauung der Richthofenstraße mit 35 Häusern (Abb. 5.2, roter Kreis 4). Vor dem Zweiten Weltkrieg zählte dieses "frühe Auerberg" etwa 1.000 Einwohner. Im Winter 1940/41 wurde ein unterirdischer Löschwasserbehälter im Bereich Eupener-/Flensburger Straße gebaut. Werftbahn und Hafen, Leichtmetallfabrik, Mondorfer Fähre und eine FLAK-Stellung am Engländerweg waren ja denkbare Ziele von Bombardierungen. 1943/44 kamen in 14 m Tiefe drei Luftschutzstollen hinzu, die eine Verbindung zwischen Köln-/Eupener- und Allensteiner Straße schaffen sollten. Sie sind zwar nicht vollendet worden, aber haben doch Schutz geboten. Bis heute geblieben sind die massiv betonierten Zugangsgebäude neben dem Schützenhaus (Kölnstr. 584) und am "Buscher Plätzchen" (Allensteiner Str. 17). Zum Dank, den Krieg ohne größere Zerstörungen überstanden zu haben, errichteten auf Initiative Pater Michael Kremers, des katholischen Geistlichen im Seelsorge-Bezirk St. Josefs-Höhe, Bürger des Bonner Nordens und der Nordrandsiedlung 1953 das "Heiligenhäuschen".
In den Jahren der Nachkriegszeit und des "Wirtschaftswunders" bewährte sich die starke Solidarität der "Siedlergemeinschaft Bonn-Nord" nicht nur bei der Beschaffung von Gartenbaumaterialien, der Kanalisierung 1965 oder Beratung in Rechtsfragen, sondern auch in gesellschaftlicher Hinsicht: die "Männerreih Gemütlichkeit" (1948), die "Sonnigen Siedlerinnen" (1949) und die "St. Sebastianus Schützenbruderschaft" (1950) prägen für die folgenden Jahrzehnte Feste und Feiern. Die Einweihung der Bernhardkirche (1956) unmittelbar neben der Nordrandsiedlung, der Umzug des Kindergartens St. Theresia aus dem "Auerberghaus" (seit 1953, seit 1984 Schützenhaus) in den neuen Kindergarten 1966 und die Eröffnung des Pfarrheims 1974 schufen ein Begegnungszentrum in dem jetzt stadtwärts stark wachsenden Umfeld, das erst 1966 den offiziellen Namen "Auerberg" erhielt. 1976-1978 nutzten viele Bewohner der Nordrandsiedlung das Angebot der Stadt Bonn, ihre Erbpachtgrundstücke in Eigentum umzuwandeln. Heute findet man fast kein Haus mehr, das den ursprünglichen Zustand ohne An- und Umbauten, dazu noch mit Nutz- statt Ziergarten zeigt (Abb. 5.5). Aber "die Siedler" pflegen in vielen Kontakten die alte Gemeinschaft und das Bewusstsein, aus bescheidensten Verhältnissen in entbehrungsreichen Jahren mit viel Fleiß ein ansehnliches Wohn- und Lebensumfeld in Bonn geschaffen zu haben (Abb. 5.6).
1924 wurde der neue Bonner Hafen (das "Rheinwerft") in Graurheindorf eingeweiht. Die "Werftbahn" schuf nicht nur den Anschluss an die Rheinuferbahn, sondern sollte auch ein großes "Industriegelände" erschließen. Stattdessen entstand hier in mehreren Etappen seit 1933 Auerberg. Quelle: Stadtarchiv und Stadthistorische Bibliothek Bonn.
Nach den punktuellen Siedlungsansätzen Kloster, Nordfriedhof und Metallwerk (blaue Sechsecke 1 – 3) bedeuten die Baumaßnahmen für die "Stadtrandsiedlungen" (rote Kreise 1 – 3) den entscheidenden Schritt für die Entstehung der Stadtteile Tannenbusch und Auerberg. Die Karte von 1938 dokumentiert die von der Stadt isolierte Randlage der Siedlungen. Quelle: Topographische Karte 1 : 25.000, Blatt 5208 Bonn, Berichtigungsstand 1938, Ausgabe 1947, Landesvermessungsamt NRW.
Herbst 1933: Die Siedler vor einem typischen Siedlerhaus. Jedes Haus beherbergt zwei Siedlerstellen (linke und rechte Hälfte) mit einem Anbau für Kleintierhaltung. Quelle: Archiv Siedlergemeinschaft Bonn-Nord, Gottfried Metzen.
Das Luftbild vom 19. September 1938 zeigt die gerade fertiggestellte Nordrandsiedlung mit ihren noch baumlosen Gartenbauflächen. Quelle: Strähle-Luftbild, Stadtarchiv und Stadthistorische Bibliothek Bonn.
Das Wohngebiet der alten Nordrandsiedlung entlang der Saarbrückener, Allensteiner und Eupener Straße präsentiert sich heute (Drohnenfoto 25. September 2021) als attraktive Wohnlage mit schönen Gärten und dichter Lage zum Landschaftsschutzgebiet Klosteracker/Rheinaue-Nord. Foto: Jürgen Haffke.
Das Drohnenfoto vom 02. Juli 2018 präsentiert die grüne, baumreiche Nordrandsiedlung mit ihren an- und umgebauten Häusern im Vordergrund und der Bernhardkirche vor dem dicht bebauten Auerberger Kern und der Stadt Bonn. Das Siebengebirge bildet die reizvolle landschaftliche Kulisse. Foto: Jürgen Zens.
Text: Jürgen Haffke 2021
Literatur & Quellen:
- Heinrich Schmitz: Zum Jubiläum 1933–1973. 40 Jahre Siedlergemeinschaft Bonn-Nord in der Siedlervereinigung Bonn Stadt und Land. Bonn-Auerberg 1973
- Hans Noltensmeyer: Zum Jubiläum 1933–1983. 50 Jahre Siedlergemeinschaft Bonn-Nord. Bonn-Auerberg 1983
- Gottfried Metzen: Zum Jubiläum 1933–1993. 60 Jahre Siedlergemeinschaft Bonn-Nord. Bonn 1993
- Gottfried Metzen, Ria Montag, Maria Thomas: Unsere Nordrandsiedlung, erbaut 1933–1936, heute Siedlergemeinschaft Bonn-Auerberg. 2013 bestehen wir 80 Jahre. Zeitgeschehen. Bonn-Auerberg 2013
- 85 Jahre Siedlergemeinschaft Bonn-Auerberg 1933–2018, Chronik. Bonn-Auerberg 2018
Bonns Stadtstruktur ergibt sich aus dem Nebeneinander eines historisch gewachsenen Kerns (Bonn-Innenstadt), eingemeindeten gewachsenen Dörfern (Graurheindorf, Buschdorf, Endenich usw.), Wachstumszonen und aufgefüllten Zwischenflächen (Nordstadt, Weststadt, Südstadt, Raum zwischen dem Kern und den Dörfern) und regelrecht neu angelegten Stadtteilen (Tannenbusch, Auerberg usw.). Während die gewachsenen, jahrhundertalten Siedlungen (Kern und Dörfer) über identitätsstiftende Bauten, Straßen und Plätze verfügen, die ein historisches Bewusstsein entstehen lassen, ist das bei den Zwischenflächen und den neu angelegten Stadtteilen erheblich schwieriger. Dennoch verfügen auch sie über markante Zeugnisse ihrer historischen Entwicklung.
Diese Zeugnisse offenzulegen und Ihnen den Werdegang des jungen Bonner Stadtteils Auerberg näherzubringen, ist das Ziel der "Historischen Punkte".
Die nachfolgende Karte zeigt Ihnen die Standorte der Stelen, und die Liste daneben nennt die Objektbezeichnungen mit den jeweiligen Adressen. Sowohl über die Liste als auch über die jeweiligen Punkte auf der Karte kommen Sie mit einem Klick direkt zum ausgewählten Objekt.
Wir wünschen viel Spaß beim Lesen!
#6: Katholische Kirche St. Bernhard – Eine Pfarrei im Wandel (Eupener Str. 26)
Heute mag man sich über die eher randliche Lage der katholischen Kirche St. Bernhard innerhalb Auerbergs wundern. Aber als diese 1955/56 gebaut wurde, war das Gelände stadtwärts fast ausschließlich Ackerland. Der Standort der Kirche orientierte sich folglich an der "Nordrandsiedlung" aus den 1930er Jahren. (Abb. 6.1). Binnen weniger Jahre waren hier und in der Richthofenstraße über 1.000 Menschen zugezogen, darunter viele Katholiken, die jetzt in der Pfarrei Graurheindorf mit der Margaretenkirche und der Klosterkirche St. Josef an der Höhe (Kölnstraße) seelsorgliche Begleitung wünschten. Die räumlichen und personellen Kapazitäten beider Kirchen waren dadurch völlig überfordert. Auf Anregung des Stadtdechanten übernahm ab 1938 zur Entlastung des Graurheindorfer Pfarrers der Redemptorist Pater Michael Kremer bis 1954 die Seelsorge im "Seelsorgebezirk St. Josefs-Höhe" (Nordrandsiedlung und die Siedlung Tannenbusch, beide noch ohne eigene Kirche). Der Schließung der Klosterkirche in den Kriegsjahren der NS-Zeit (1941-1945) begegnete Pater Kremer 1943 durch die Einrichtung einer "Behelfskirche" in einem Privathaus (Familie Reuter, Kölnstr. 399) in seiner Wohnung.
Als bescheidene Anlaufpunkte zur religiösen Besinnung entstanden 1949 eine "Lourdesgrotte" (südlich des Leichtmetallwerks) und 1953 das Heiligenhäuschen (bei der Nordrandsiedlung). Im Frühjahr 1951 erkannte das Generalvikariat Köln die Dringlichkeit eines Kirchbaus für die Nordrandsiedlung an. Die Beschaffung eines geeigneten Grundstücks zog sich bis 1954 hin. Nach den Plänen der Bonner Architekten Toni Kleefisch und Carl Leyers begann man am 27. Juni 1955 in der Amtszeit von Pater Paul Kerzmann mit dem Bau der Kirche und eines Pfarrhauses (Grundsteinlegung 21. August 1955, Richtfest 19. November 1955). Ein "Kirchbauverein" der Einwohner kümmerte sich um die Ausstattung der neuen Kirche, die nach ihrer Vollendung am 4. Adventssonntag, dem 23. Dezember 1956, durch Weihbischof Josef Ferche geweiht wurde. Zugleich wurde damit eine eigenständige Pfarrei begründet. Im Namen der Kirche und Pfarrei "St. Bernhard" kommt die Bindung an die Mutterpfarrei Graurheindorf zum Ausdruck, die historisch aus der Kirche des Zisterzienserinnenklosters ("Graue Schwestern") hervorgegangen war. Dieser Orden hatte den hl. Bernhard von Clairvaux besonders verehrt.
Von Ende 1955 bis 1961 war Josef Schäfer Pfarrer von St. Bernhard. Seiner Initiative verdankt die Kirche die ungewöhnliche und wertvolle Gestaltung der Wand hinter dem Altar durch den Künstler Paul Magar (1909 – 2000). Nachdem er ein Fresco Magars in der Kirche in Pronsfeld/Eifel gesehen hatte, wünschte er sich 1958 Ähnliches für St. Bernhard. Sein Lieblingslied "Wachet auf, ruft uns die Stimme" (Text und Musik Philipp Nicolai 1599) möchte er bildhaft umgesetzt sehen. Im Herbst 1961 begonnen, konnte Magar sein großartiges Werk schon an Weihnachten vollenden (Abb. 6.2). Der Altarraum erlebte 1986 und 2011 Umgestaltungen, zuletzt genau 50 Jahre nach der Einweihung des Fresco, was man zum Anlass nahm, den Blick vom Kirchenraum auf das Kunstwerk wieder freizustellen. Die Entfernung der Kirchenbänke im Gefolge der Corona-Pandemie 2020 tat ein Übriges, die Wirkung des Frescos noch zu verstärken.
Mit "Ite missa est" (wörtl. "Gehet, es ist Entlassung", abgewandelt als Schluss-Segenswunsch zu "Gehet hin in Frieden"), einem Aluminium-Relief, hat Paul Magar der Bernhardkirche zu einem zweiten bemerkenswerten Kunstwerk verholfen. Anläßlich seines Silbernen Priesterjubiläums hatte die Pfarrgemeinde ihrem Pfarrer, Pater Matthias Harren (1968 – 1986 in St. Bernhard) 1977 dieses Kunstwerk geschenkt (Abb. 6.3). Die Verwendung von geschichteten Aluminiumplatten zur Gestaltung des Motivs drückt die enge Beziehung zwischen dem VAW-Leichtmetallwerk und dem Stadtteil aus, der Werksstandort und Wohnort vieler Beschäftigter ist. In der Kirche bilden so das Altarfresco und das Aluminiumrelief Magars ein eindrucksvolles Ensemble, das beim Ankommen, Verweilen und Verlassen die Blicke auf sich zieht.
Bonns Ausbau zur Bundeshauptstadt schlägt sich seit den 1960er Jahren deutlich in der massiv gesteigerten Bebauung des 1966 in "Auerberg" benannten Stadtteils nieder (Abb. 6.4). Ein neuer Kindergarten (1966, 2013 erweitert) und ein Pfarrheim (1974) ergänzen unmittelbar neben der Kirche die Einrichtungen der bis 2002 eigenständigen Pfarrei St. Bernhard. Der Mangel an Priestern im Bistum Köln erforderte schon Ende der 1980er Jahre eine Neuorganisation der Pfarreien auch in Bonn zunächst in "Nahbereiche", dann in "Seelsorgebereiche". Am 10. September 2002 erfolgte der Zusammenschluss der Gemeinden St. Aegidius (Buschdorf), St. Bernhard (Auerberg), St. Hedwig (Bonn-Nord) und St. Margareta (Graurheindorf) zu einem Pfarrverband. Ab dem 01. Januar 2010 gehörte dieser Pfarrverband gemeinsam mit den Nachbargemeinden St. Antonius (Dransdorf), St. Laurentius (Lessenich), St. Paulus (Alt-Tannenbusch) und St. Thomas Morus (Neu-Tannenbusch) zum Kirchengemeindeverband "Im Bonner Nordwesten". Seit dem 01. Januar 2013 wurde daraus die Kirchengemeinde "St. Thomas Morus" mit acht Kirchen, darunter St. Bernhard in Auerberg. Seit 2024 fungiert Thomas-Morus zusammen mit der Pfarrei St. Rochus und Augustinus als Pastorale Einheit. Zum 1. Januar 2028 wird die Fusion zur neuen Großpfarrei "Edith Stein" vollzogen.
Von der Kölnstraße aus hatte man bis Ende der 1950er Jahre einen freien Blick über das Ackerland auf die Bernhardkirche. Foto: Sammlung Karl Hoch 1960, Stadtarchiv und Stadthistorische Bibliothek Bonn.
"Wachet auf, ruft uns die Stimme." Seit Weihnachten 1961 prägt das große Fresco von Paul Magar die Innenansicht von St. Bernhard. Foto: Hans Werner Schallenberg 2020.
"Ite missa est". Das Aluminiumrelief von Paul Magar entstand 1977 und verabschiedet die Kirchgänger in die Welt. Der Werkstoff dokumentiert die enge Beziehung Auerbergs zur Aluminium-Verarbeitung vor Ort seit 1921. Foto: Jürgen Haffke 2021.
Der Blick führt von Graurheindorf bis zur Kölnstraße/Nordfriedhof. Seit den 1960er Jahren füllen sich die Ackerflächen Zug um Zug mit Neubauten. Die "Nordrandsiedlung" mit St. Bernhard geht innerhalb weniger Jahre in "Auerberg" auf. Foto: Aero-Lux 29.06.1963, Stadtplanungsamt Bonn, Blatt 225
Text: Jürgen Haffke 2022
Literatur & Quellen:
- Chronik des Seelsorgebezirks St. Josefs-Höhe Bonn. Vom 1. Febr. 1938 – 31.Dez. 1956. Pfarrarchiv Bonn, St. Thomas Morus, Bestand Auerberg, St. Bernhard, Sig. 138
- Katholische Pfarrgemeinde Bonn-Auerberg (Hrsg.), Jürgen Haffke (Red.): St. Bernhard in Bonn-Auerberg. 25 Jahre. Bonn-Auerberg 1981
- Pfarrgemeinderat St. Bernhard (Hrsg.), Ingeborg Höver, Josef Langer, Martina Wurm-Ditttkrist (Red.): 40 Jahre Pfarre St. Bernhard. Pfarrbrief Nr.2/1996
- Katholische Pfarrgemeinde St. Bernhard, Bonn-Auerberg (Hrsg.), Holger Friedrich (Red.): 50 Jahre Pfarrgemeinde St. Bernhard Bonn-Auerberg 1956–2006. Bonn-Auerberg 2006
- Kirchengemeindeverband "Im Bonner Nordwesten", Pfarrer Hermann Bartsch (Hrsg.): "Wachet auf". Das Altarfresko des Bonner Künstlers Paul Magar. Bonn 2011
- Josef Herberg (Hrsg.): Kirchen in Bonn. Geschichte und Kunst der katholischen Pfarreien und Gotteshäuser. Petersberg 2011
Bonns Stadtstruktur ergibt sich aus dem Nebeneinander eines historisch gewachsenen Kerns (Bonn-Innenstadt), eingemeindeten gewachsenen Dörfern (Graurheindorf, Buschdorf, Endenich usw.), Wachstumszonen und aufgefüllten Zwischenflächen (Nordstadt, Weststadt, Südstadt, Raum zwischen dem Kern und den Dörfern) und regelrecht neu angelegten Stadtteilen (Tannenbusch, Auerberg usw.). Während die gewachsenen, jahrhundertalten Siedlungen (Kern und Dörfer) über identitätsstiftende Bauten, Straßen und Plätze verfügen, die ein historisches Bewusstsein entstehen lassen, ist das bei den Zwischenflächen und den neu angelegten Stadtteilen erheblich schwieriger. Dennoch verfügen auch sie über markante Zeugnisse ihrer historischen Entwicklung.
Diese Zeugnisse offenzulegen und Ihnen den Werdegang des jungen Bonner Stadtteils Auerberg näherzubringen, ist das Ziel der "Historischen Punkte".
Die nachfolgende Karte zeigt Ihnen die Standorte der Stelen, und die Liste daneben nennt die Objektbezeichnungen mit den jeweiligen Adressen. Sowohl über die Liste als auch über die jeweiligen Punkte auf der Karte kommen Sie mit einem Klick direkt zum ausgewählten Objekt.
Wir wünschen viel Spaß beim Lesen!
#7: Luftschutzbunker – Spuren des 2. Weltkriegs (Kölnstr. 584)
Man ahnt nichts von dem großen "Feuerlöschwasserbehälter", der sich noch immer unter der Straßendecke am Rondell vor der Bernhardkirche, eingangs der Eupener Straße, befindet. Im Spätherbst 1940 entstanden zwei 21 und 29 Meter lange, halbkreisförmige Betonröhren mit einer Höhe von 3,20 m und Breite von 3,80 m, ausgestattet mit zwei Zapfstellen (Abb. 7.1 und 7.2). Eingegraben in einer 4 m tiefen Grube, sollten sie ausreichend Wasser vorhalten, falls die Siedlung durch Bombentreffer in Brand geriete. Glücklicherweise musste man nie auf diese Anlage zurückgreifen, die heute von der Feuerwehr Graurheindorf gewartet wird.
Seit Ende 1942 wurde an Plänen für einen Luftschutzstollen "Siedlung Kölnstraße", wie man die Nordrandsiedlung nannte, gearbeitet. Man befürchtete vor allem Bombardierungen des Leichtmetallwerks, das Rüstungsgüter produzierte, und der Werftbahn zum Bonner Hafen, die auch die Siedlung treffen könnten. Am 10. März 1943 wurde die Baustelle eingerichtet. In Form eines großen T sollten drei Zugangsstollen von der Kölnstraße, der Eupener und Allensteiner Straße her in 14 Metern Tiefe miteinander verbunden werden (Abb. 7.3). Täglich waren bis über 30 Arbeiter, darunter bis zu 20 kriegsgefangene Franzosen, im Einsatz. Trotzdem wurde die Anlage bis Kriegsende nicht vollendet. Eine Verknüpfung der drei Stollen fand nicht statt. Die Stollen (2,20 m hoch, 2 m breit, Wanddicke 20 – 50 cm, siehe Abb. 7.4) litten unter zeitweiligen Grundwassereinbrüchen und waren nur spärlich beleuchtet. Immerhin boten sie Schutz. Ob sie wirklich "bombensicher" gewesen wären, wurde glücklicherweise nicht auf die Probe gestellt. Die oberirdischen Zugangsgebäude sind jedoch so stark betoniert worden, dass ein Abriss sehr aufwendig wäre. So stehen diese Zeugnisse des Zweiten Weltkriegs noch immer mal mehr (Kölnstr. 584 neben dem Schützenhaus, Abb. 7.5), mal weniger sichtbar (Allensteiner Str. 17 am "Buscher Plätzchen", Abb. 7.6, und vor Eupener Str. 10, Abb. 7.7) im heutigen Baubestand Auerbergs. Die Zugänge zu den Treppen zum Stolleninneren sind allerdings bald nach dem Krieg mit Beton geschlossen worden.
Von einem Geländer eingefasst, stehen mehrere Glascontainer auf einer Betonplatte an der Einmündung der Flensburger auf die Saarbrückener Straße (Abb. 7.8). Geländer und Betonplatte sind die letzten unscheinbaren Spuren eines "Bahnhofs" einer Luftseilbahn, die sich seit Ende 1944/Anfang 1945 im Bau befand, um Waffen und sonstige Materialien von der linken auf die rechte Rheinseite zu befördern, falls die Mondorfer Fähre ausfallen sollte. Zunächst parallel der Werfbahn und dann auf wenigen Pfeilern quer über die Rheinaue und den Strom verlaufend, hatte man sich die Anlage vorgestellt, die aber bis Kriegsende kaum über erste Bauschritte hinauskam. Nach dem amerikanischen Einmarsch in Bonn am 08. März 1945 erlebte die Nordrandsiedlung noch heftigen Beschuss von Mondorf her. Ein amerikanischer Panzer, nahe des "Bahnhofs" der Luftseilbahn platziert, schoss daraufhin zurück und zerstörte den Mondorfer Kirchturm.
Insgesamt hat die Nordrandsiedlung die Jahre des Zweiten Weltkriegs relativ unbeschadet überstanden. 44 Männer aus der Siedlung waren aber an diversen Fronten gestorben, eine Frau und ein Mann durch Beschuss der Siedlung umgekommen. 1953 errichteten auch Bewohner der Siedlung das Heiligenhäuschen aus Dankbarkeit, die Kriegsjahre überlebt zu haben. Ein Ehrenmal, 2001 von der Siedlergemeinschaft an der Bernhardkirche eingeweiht, dokumentiert die Namen der Kriegsopfer.
Die 21 und 29 Meter langen Betonröhren von 1940 haben die Ausmaße eines Schwimmbads. Verborgen unter der Straßendecke, sind sie nur an zwei Kanaldeckeln zu erkennen. Quelle: Stadtarchiv und Stadthistorische Bibliothek Bonn
Eingegraben in einer 4 Meter tiefen Grube haben beide Betonröhren jeweils eine Höhe von 3,20 m und Breite von 3,80 m. Quelle: Stadtarchiv und Stadthistorische Bibliothek Bonn
Der ursprüngliche Plan von 1942: Von der Kölnstraße ausgehend (linker Bildrand) reicht ein Stollen in 14 Metern Tiefe weit in eine ehemalige, zwischenzeitlich aber verfüllte Kiesgrube hinein, der dann rechtwinklig an Stollen von der Allensteiner Straße ("Buscher Plätzchen") und Eupener Straße anschließen sollte. Zu diesem Zusammenschluss ist es nicht gekommen. Quelle: Stadtarchiv und Stadthistorische Bibliothek Bonn.
In den Stollen herrschten beengte Verhältnisse, da sie nur 2,20 m hoch und 2 m breit waren. Aufgrund der Tiefe der Anlage drang bisweilen Grundwasser in die Anlage. Quelle: Stadtarchiv und Stadthistorische Bibliothek Bonn.
Das massiv betonierte Zugangsgebäude zum Stollen an der Kölnstraße 584, neben dem Schützenhaus. Foto: Jürgen Haffke.
Völlig überwuchert, ist das Zugangsgebäude zum Stolleneingang am "Buscher Plätzchen" fast nicht erkennbar. Foto: Jürgen Haffke.
Am Plätzchen in der Eupener Straße erinnert nur ein unscheinbarer Betonblock an den Zugang zum Stollen. Foto: Jürgen Haffke.
Die Betonplatte und das umgebende Geländer hinter den Glascontainern sind die verbliebenen Spuren des "Bahnhofs" der Luftseilbahn von Ende 1944/Anfang 1945. Im Hintergrund der Kirchturm von Mondorf. Foto: Jürgen Haffke.
Text: Jürgen Haffke 2022
Literatur & Quellen:
- Jürgen Haffke: Die Nordrandsiedlung im Zweiten Weltkrieg. In: Dat Blättche 2015, 3, S.15–20; 2016, 1, S.3/4
Bonns Stadtstruktur ergibt sich aus dem Nebeneinander eines historisch gewachsenen Kerns (Bonn-Innenstadt), eingemeindeten gewachsenen Dörfern (Graurheindorf, Buschdorf, Endenich usw.), Wachstumszonen und aufgefüllten Zwischenflächen (Nordstadt, Weststadt, Südstadt, Raum zwischen dem Kern und den Dörfern) und regelrecht neu angelegten Stadtteilen (Tannenbusch, Auerberg usw.). Während die gewachsenen, jahrhundertalten Siedlungen (Kern und Dörfer) über identitätsstiftende Bauten, Straßen und Plätze verfügen, die ein historisches Bewusstsein entstehen lassen, ist das bei den Zwischenflächen und den neu angelegten Stadtteilen erheblich schwieriger. Dennoch verfügen auch sie über markante Zeugnisse ihrer historischen Entwicklung.
Diese Zeugnisse offenzulegen und Ihnen den Werdegang des jungen Bonner Stadtteils Auerberg näherzubringen, ist das Ziel der "Historischen Punkte".
Die nachfolgende Karte zeigt Ihnen die Standorte der Stelen, und die Liste daneben nennt die Objektbezeichnungen mit den jeweiligen Adressen. Sowohl über die Liste als auch über die jeweiligen Punkte auf der Karte kommen Sie mit einem Klick direkt zum ausgewählten Objekt.
Wir wünschen viel Spaß beim Lesen!
#8: Heiligenhäuschen – Wahrzeichen Auerbergs (Saarbrückener Straße/Fuß- u. Radweg Hafenbahn)
Wie schafft man in einem damals weitgehend von Ackerland geprägten Raum weit vor der Stadt, der nur von einigen Siedlungsbauten ohne geistliche und wirtschaftliche Zentren berührt worden ist, Anlaufpunkte der Besinnung?
Die Vorgeschichte
Schon länger hatte Pater Michael Kremer, von 1938 bis 1954 Seelsorger für die 1933 bis 1938 erbaute Nordrandsiedlung und Siedlung Tannenbusch, den Plan erwogen, "in das ganz und gar zweckhaft-weltliche Bild der weit von der (Graurheindorfer) Kirche abgelegenen (Nordrand-)Siedlung einen frommen Zug hinein zu zeichnen". So schrieb er es in der "Chronik des Seelsorgebezirks St. Josefs-Höhe 1938 – 1956" nieder, aus der auch im Folgenden zitiert wird (Pfarrarchiv Bonn, St. Thomas Morus, Bestand Auerberg, St. Bernhard Sig.138). An eine Umsetzung dieses Wunschs war in der NS- und Kriegszeit nicht zu denken gewesen. Bei einem Erholungsaufenthalt in Niederbayern 1947 fand er ein Heiligenhäuschen, "das den vor ihm verweilenden Besucher gewissermaßen von der Umgebung abschirmte und ihn in den heiligen Raum hineinnahm". Ein Holzmodell dieses Vorbilds stand dann jahrelang in seinem Pfarrbüro.
Die "Lourdesgrotte", 1949
1949 hatte Pater Kremer bei einem Kuraufenthalt in Camberg eine "Lourdesgrotte" kennengelernt: "Sollte eine ähnliche Grottenanlage nicht auch den Gläubigen von St. Josefs-Höhe Erbauung und Trost, Neubelebung der Muttergottes-Verehrung bringen können?" Innerhalb weniger Wochen entstand durch das Engagement von Anliegern und weiteren Förderern auf einem privaten Eckgrundstück am Höhweg/Weg zur Autobahnbrücke nach Tannenbusch, südlich des Leichtmetallwerks (etwa Standort des heutigen Malteser-Gebäudes), die am 8. Dezember 1949 eingeweihte Lourdesgrotte. Die Bewohner der Tannenbusch–Siedlung bekamen auf diese Weise einen Punkt der Andacht auf ihrem Weg zur Kirche "St. Joseph an der Höhe" an der Kölnstraße. Im Verlauf des Autobahnausbaus Mitte der 1960er Jahre wurde die Grotte abgerissen.
Der Bau des Heiligenhäuschens 1952/53
Nachdem 1951 der vordringliche Bau des Kindergartens St. Theresia (heutiges Schützenhaus, Kölnstr. 584) vollendet war, konnte Pater Kremer an den Bau des Heiligenhäuschens herangehen. Es sollte ursprünglich der von seinem Orden, den Redemptoristen im Kloster an der Kölnstr. 415, besonders verehrten "Mutter von der immerwährenden Hilfe" geweiht sein. "Durch die Verkündigung des Dogmas von der leiblichen Aufnahme Mariens in den Himmel durch Papst Pius XII. am 1. November 1950 rückte jedoch der Maria Königin-Gedanke ganz von selbst in den Vordergrund." Ein städtisches Grundstück zwischen Buschdorfer Kirchweg und Hafenbahn, das von einem kleinen Hügel aus einen Blick auf die Rhein- und Siegaue mit Graurheindorf und Mondorf gewährte, bot "etwas abseits vom Straßenverkehr dem Besucher die Möglichkeit zu stiller Andacht". Der schon mit Arbeiten für den Bau der Bernhard-Kirche betraute Bonner Architekt Toni Kleefisch lieferte den Bauplan für das Heiligenhäuschen. Zahlreiche Handwerker aus der Umgebung (Nordrandsiedlung, Graurheindorf, Tannenbusch und Bonn-Nord) brachten sich in das Projekt ein, das am 24. März 1953 eingeweiht wurde. Da fehlte noch das Bild von der Krönung Mariens, das zunächst von einem Bild der "Mutter von der immerwährenden Hilfe" aus dem Kindergarten ersetzt wurde.
Die Votivtafel
In der Chronik des Seelsorgebezirks St.Josefs-Höhe heißt es weiter: "Die von Willi Möhle (Gerichtsweg/heute Friedrich-Wöhler-Str. J.H.) ausgeführte marmorne Votivtafel besagt, was für die Nordrand-Siedlung der gegebene Anlass zum Bau des Heiligenhäuschens war, nämlich der Dank für den besonderen Schutz Gottes und seiner hl. Mutter im letzten Kriege 1939 – 45. Die einzigen Bomben, die im Bereich der Siedlung während des Krieges gerade an der Stelle, wo das Kapellchen jetzt steht, gefallen sind, richteten nur ganz geringen Schaden an am Hause der Familie Neuhaus (Danzigerstraße 1). Es war am Ostermontag 1942."
Die Inschrift auf der Votivtafel:
"DER IN DEN HIMMEL AUFGENOMMENEN GOTTESMUTTER"
(PAPST PIUS XII., 1.XI.1950)
DIE SIEDLUNG BONN-NORD ZUM DANK FÜR SCHUTZ IM KRIEGE 1939 – 45.
25.3. A.D. 1953
Jetzt besaßen auch die Bewohner der Nordrandsiedlung einen Punkt der Andacht auf ihrem Weg zur Kirche St. Margareta in Graurheindorf (Abb. 8.1).
Pater Kremer hatte dann seinen Ordensoberen am 28. Dezember 1953 brieflich gebeten, mit seiner Versetzung noch etwas zu warten (Provinzarchiv der Redemptoristen): "Nur ganz am Rande vermerkt sei, dass ich auch gern die Vollendung unseres Maria Königin-Heiligenhäuschens durch die Einsetzung eines Hinterglasbildes und zweier Buntglasfenster erleben möchte. Das ansprechende Kapellchen ist durch meine Bemühungen ganz aus Spenden finanzkräftiger guter Freunde erstellt worden."
Das Bild "Maria Königin", 1954
Der Glasmaler Felix Senger aus Berlin-Dahlem hatte den Auftrag erhalten, nicht nur die "Krönung Mariens" als Hinterglasbild anzufertigen, sondern auch zwei Engelbilder in Bleiverglasung für die Seitenfenster. Angesichts hoher Arbeitsbelastung erfolgte die Lieferung des Marienbildes erst ein Jahr später im März 1954. Aber die beiden zur Auswahl angebotenen Marien-Bilder waren beim Transport zersplittert. "Nach etwa 4 Wochen kam das neugemalte Bild, diesmal auf Sekuritglas gemalt, in bester Verpackung, heil und wohlbehalten an", so dass es Ende Mai 1954 in seiner Nische eingesetzt werden konnte (Abb. 8.2). Die Anregung für dieses Motiv hatte er einem Wandgemälde von Peter Thomas von 1903–1907 aus der Kirche St. Joseph an der Höhe, seit 1920 Klosterkirche der Redemptoristen, entnommen (Abb. 8.3). Die Seitenfenster des Heiligenhäuschens mit den Engel-Motiven wurden durch Vandalismus in den 1970er Jahren zerstört und sind seitdem zugemauert.
Felix Senger hatte während des Krieges Pater Wilhelm Lückerath, einen Bonner Redemptoristen, kennengelernt. Nach amerikanischer Kriegsgefangenschaft hatte Senger 1946 einige Monate im Bonner Kloster verbracht und Entwürfe für eine Buntverglasung aller zerstörten Fenster der Klosterkirche angefertigt. "Leider konnten diese Entwürfe damals (1946) noch nicht zur Ausführung kommen, weil die britische Militär-Regierung die Produktion des erforderlichen Antik-Glases in der Glasfabrik Sindorf noch nicht freigab." Erst am Pfingstmontag, dem 14. Mai 1951, wurde einer der Entwürfe Felix Sengers von 1946 in der Fassade der Klosterkirche über einer neuen Gefallenen-Ehrentafel eingesetzt mit der Aufschrift: "Wache auf, der du schläfst und Christus wird dich erleuchten." Spätestens bei dieser Gelegenheit wird es zu einem Kontakt zwischen Pater Kremer und Senger gekommen sein. Von Felix Senger sind weitere Werke bekannt: Zeichnungen in einer Berliner Galerie 1935, ein Gemälde eines Braunkohletagebaus mit Kraftwerk und Industrieanlage 1939 in Milwaukee/USA, ein Fenster "Christi Geburt" im Seitenschiff der Liebfrauenkirche Koblenz 1953, ein Glasfenster im Rathaus von Berlin-Zehlendorf 1955.
Das Heiligenhäuschen heute: Auerberger Wahrzeichen und Denkmal
Die Einweihung der kath. St. Paulus-Kirche in Tannenbusch 1953, der kath. St. Bernhard-Kirche in der Nordrandsiedlung 1956, der ev. Apostelkirche in Tannenbusch 1956, der kath. St. Hedwig-Kirche in Bonn-Nordstadt 1962 und des Evangelischen Gemeindeforums Auerberg 1974 trugen dann den religiösen Bedürfnissen der stark wachsenden Bevölkerung im Bonner Nordwesten Rechnung. Dennoch: Das Heiligenhäuschen der Nordrandsiedlung ist zum Wahrzeichen des Stadtteils Auerberg geworden. Seit 1982 findet hier alljährlich das Ökumenische Gotteslob statt. Schon 1983 hatte der Ortsausschuss Auerberg bei der Stadt Bonn die Anerkennung als Denkmal beantragt, was zunächst 1986 abgelehnt, dann aber 1990 umgesetzt worden ist.
Anhang mit den am Bau des Heiligenhäuschens Beteiligten:
- Initiator: Pater Michael Kremer, C.Ss.R
- Modell des Heiligenhäuschens: Bruder Rudolf Pelz C.Ss.R
- Vermittlung des städtischen Bauplatzes: Oberbürgermeister Peter Busen
- Ratgeber: Gartenbau-Architekt Raderschall, Dottendorf
- Architekt: Toni Kleefisch, Kaufmannstraße
- Lieferung von 30 Kubikmetern Bruchsteinen und Anfahrt: Straßenbau-Unternehmer Peter Mell, Tannenbusch
- Bruchstein-Maurerarbeit: Peter Schild, Kölnstr. 376
- Ziegelsteine für Innenverkleidung: Ludwig Reuter, Kölnstr. 399
- Bauausführung: Wegemeister Ernst Köhne, Danziger Straße; Herr Hoppe, Ippendorf
- Dach: Herr Tenten, Bornheimerstraße; Dachdeckermeister Stratemeyer, Rheindorf
- Gärtnerische Gestaltung (drei hängende Blutbuchen, Halbkreis niedriger Rosen, Platten vor der Kapelle) : August Forster jun.
- Gitter und Emblem auf dem Dachfirst (Weltkugel mit JM, Krone und Kreuzchen darüber): Lehrlingswerkstatt des Leichtmetallwerks unter Meister Kofferath
- Maria Königin-Bild und zwei bleiverglaste Fensterbilder: Glasmaler Felix Senger, Berlin-Dahlem
- Eichenrahmen für das Marienbild: Schreinermeister Eich, Eupener Str. 37
- Sekurit-Vorsatzscheibe für das Marienbild: Glasermeister Bruno Mombour
- Schutzblech für Bildhintergrund: Wegemeister Ernst Köhne
- Votivtafel: Willi Möhle, Gerichtsweg/heute Friedrich-Wöhler-Straße
- Betreuung und Pflege des Kapellchens: Familie Neuhaus, Danzigerstraße 1
- Geschmiedete Fensterrahmen, äußere Schutzgitter für die Fenster, Ölampelgestell aus Messing: Paul Schaffrath, Flensburgerstraße
- Fußboden der Kapelle: Plattenleger Peter Eich, Lerchenweg
- Eichenbohlen der beiden Ruhebänke: Schreinermeister Boller, Stiftsgasse
- Treppenaufgang vom Rheindorfer Feldweg: Herr Hoppe, Ippendorf
Die "Lourdesgrotte" wurde infolge des Autobahnausbaus etwa Mitte der 1960er Jahre abgerissen und ist heute fast in Vergessenheit geraten.
Das 1953 eingeweihte Auerberger Heiligenhäuschen bot einen freien Blick über die Rheinaue Nord und auf die Kirche St. Margareta in Graurheindorf. Quelle: Archiv Haffke.
Der Berliner Künstler Felix Senger malte 1954 auf eine Sekurit-Scheibe sein Hinterglasbild "Maria Königin". Foto: Jürgen Haffke.
Die Vorlage für das Bild im Heiligenhäuschen: "Die Krönung Mariens" in der Kirche "St. Joseph an der Höhe", Kölnstr. 415, gemalt 1903–1907. Foto: Hildegard Ameln-Haffke.
Text: Jürgen Haffke 2022
Literatur & Quellen:
- Chronik des Seelsorgebezirks St. Josefs-Höhe Bonn. Vom 1. Febr. 1938 – 31.Dez. 1956. Pfarrarchiv Bonn, St. Thomas Morus, Bestand Auerberg, St. Bernhard, Sig. 138
Bonns Stadtstruktur ergibt sich aus dem Nebeneinander eines historisch gewachsenen Kerns (Bonn-Innenstadt), eingemeindeten gewachsenen Dörfern (Graurheindorf, Buschdorf, Endenich usw.), Wachstumszonen und aufgefüllten Zwischenflächen (Nordstadt, Weststadt, Südstadt, Raum zwischen dem Kern und den Dörfern) und regelrecht neu angelegten Stadtteilen (Tannenbusch, Auerberg usw.). Während die gewachsenen, jahrhundertalten Siedlungen (Kern und Dörfer) über identitätsstiftende Bauten, Straßen und Plätze verfügen, die ein historisches Bewusstsein entstehen lassen, ist das bei den Zwischenflächen und den neu angelegten Stadtteilen erheblich schwieriger. Dennoch verfügen auch sie über markante Zeugnisse ihrer historischen Entwicklung.
Diese Zeugnisse offenzulegen und Ihnen den Werdegang des jungen Bonner Stadtteils Auerberg näherzubringen, ist das Ziel der "Historischen Punkte".
Die nachfolgende Karte zeigt Ihnen die Standorte der Stelen, und die Liste daneben nennt die Objektbezeichnungen mit den jeweiligen Adressen. Sowohl über die Liste als auch über die jeweiligen Punkte auf der Karte kommen Sie mit einem Klick direkt zum ausgewählten Objekt.
Wir wünschen viel Spaß beim Lesen!
#9: Terrassenlandschaft – Eine in Jahrmillionen geprägte Region (Ecke Hafenbahn Fuß- und Radweg / Buschdorfer Kirchweg / Auerbergweg)
Bonns reizvolle Lage im Übergang vom tief eingeschnittenen engen Unteren Mittelrhein mit dem flankierenden Siebengebirge zur sich verbreiternden Kölner-Bonner Bucht und zum Niederrhein bietet die Bühne unseres Heimatraumes. Schon der Blick vom kleinen Hügel mit dem Auerberger Heiligenhäuschen in Richtung Rhein zeigt markante Elemente: eine leichtwellige Ebene mit Ackerland, Gehölzstreifen, Baumgruppen, den Kirchtürmen von Graurheindorf und Mondorf. Noch intensiver erschließt sich diese Landschaft bei einem Spaziergang, der an der Mondorfer Fähre beginnt und über Buschdorf, Tannenbusch, Roisdorf und Alfter bis zur ehemaligen Gaststätte "Heimatblick" auf dem Villerücken führt. Mehrere deutliche Geländestufen, eine Terrassentreppe, gliedern ihr Erscheinungsbild (Abb. 8.1).
Ausgehend vom Flussniveau bei mittlerem Wasserstand (ca. 45 m ü. NN) an der Mondorfer Fähre erfolgt ein Anstieg auf zunächst bis zu etwa 52 m ü. NN auf die "Jüngere Niederterrasse", den Überschwemmungsbereich bei starkem Hochwasser, das "Hochflutbett. Teile Graurheindorfs (z.B. am künstlichen Mündungsarm des Rheindorfer Bachs und am Margarethenplatz mit der Kirche St. Margareta) stehen dann im Wasser. Abgesehen davon, dass es einen Rückstau des Rheindorfer Bachs bachaufwärts gibt, der nicht selten die Rheindorfer Burg umspült (Abb. 8.2), dringt der Rhein auch rückwärts von der Herseler Rheinaue her in einer Rinne aufwärts bis unterhalb Auerbergs und überflutet gelegentlich sogar die Verbindungsstraße zwischen Auerberg und Graurheindorf. Über weite Strecken nutzt der Rheindorfer Bach dieses alte, zeitweilige Rheinbett für seinen Lauf. Erst der künstliche Knick des Rheindorfer Bachs an der Rheindorfer Burg zum Rhein hin, der wohl im Späten Mittelalter geschaffen worden ist, hat die Rinne Richtung Hersel trocken fallen lassen und so für den Ackerbau erschlossen. Die hochwasserfreien Flächen Graurheindorfs liegen höher als 52 m ü. NN auf der Jüngeren Niederterrasse, auch als "Inselterrasse" bezeichnet, dem Niveau vieler Rheininseln (z.B. Herseler Werth). Erst seit Ende der letzten Eiszeit, also etwa 11.600 vor Christus, ist dieser verebnete Bereich der Jüngeren Niederterrasse nach und nach entstanden, indem sich der Rhein in das höher gelegene Niveau der "Älteren Niederterrasse" aus der letzten Eiszeit eingeschnitten hat (Abb. 8.3).
Abgesetzt durch eine deutliche Geländekante, deren Verlauf durch ihre Büsche und Bäume ins Auge fällt, folgt also die ausgedehnte "Ältere Niederterrasse", auf der sich nicht nur Auerberg ausbreitet, sondern weite Teile Bonns und der Siedlungen in der Köln-Bonner Bucht. Sie liegt hier ca. 59 m ü. NN und gibt wider, wo der Rhein am Ende der letzten Kaltzeit, verzweigt in vielen Armen, geflossen ist. Aber auch nach der Kaltzeit haben noch einzelne Rinnen des Rheins beide Niederterrassen erodiert. Besonders der in Bonn "Gumme" genannte Zweig zieht sich als sanfte Geländemulde durch Bonns Innenstadt, dann zwischen Tannenbusch und Dransdorf und zwischen Roisdorf und Alfter weiter nach Nordwesten. Auf der Niederterrasse haben sich zudem Dünen erhalten, die durch Anwehungen von Sanden aus vegetationsarmen Flächen unmittelbar nach der Kaltzeit aufgehäuft worden sind, z.B. die Tannenbuscher Düne. Wer in eine der zahlreichen Kiesgruben bei Buschdorf/Hersel schaut und die freien Abbaukanten genau beobachtet, erkennt die wechselnde Schichtung von feinen Sanden und groben Kiesen, die den Wechsel in der Transportfähigkeit des Rheins infolge unterschiedlicher Wasserstände und Strömungsgeschwindigkeiten dokumentiert. In kälteren Phasen lagerte der Fluss seine Schwebstoffe und Gerölle ab, in wärmeren Phasen schnitt er sich tiefer in seine Sedimente ein. So findet sich hier auch zentimeterdick eine Schicht aus Bims vom Ausbruch des Laacher See-Vulkans (10966 v.Chr.), die sich nach dem Bruch eines Damms aus vulkanischem Material im 25 m hoch aufgestauten Rhein bei Brohl bis in den Niederrhein ergoss. Die Niederterrasse hatte sich in einem Wechselspiel aus kälteren und wärmeren Phasen der Würm-/Weichsel-Kaltzeit (115.000 – 11.600 v.Chr.) in das wiederum höhere Niveau der vorausgegangenen Riß-/Saale-Kaltzeit eingeschnitten.
Während die "Mittelterrasse" im Bonner Stadtgebiet kaum ausgebildet ist, ist sie bei Alfter deutlich ausgeprägt. Ihre Kante zur Niederterrasse liegt um rund 15 m höher (ca. 70/75 m ü. NN) und baut sich aus Ablagerungen der Riß-/Saale-Kaltzeit auf (310.000 – 126.000 Jahre vor heute). Auf ihren Schottern hat sich eine 0,5 – 5 m mächtige und zum Teil noch dickere Löß-Schicht aufgelagert, ein mineralreiches Gesteinsmehl, das sich hier durch den Wind im Windschatten der Ville abgelagert hat und aus den vegetationsfreien Landschaftsstreifen entlang der kaltzeitlichen Flüsse und des nördlichen Gletschervorlandes stammt. Diese Böden sind sehr fruchtbar und bilden die Grundlage für die lange landwirtschaftliche Tradition in den Dörfern des Vorgebirges.
Der Weg auf die Hochfläche der Ville zum Alfterer Heimatblick steigt über ca. 90 m auf über 160 m ü. NN, die "Jüngere Hauptterrasse". Hier befinden sich die Ablagerungen des Rheins aus der Günz-/Cromer-Komplex-Kaltzeit (600.000 – 500.000 vor heute). Eigentlich hätte sich zwischen der Mittel- und Hauptterrasse eine weitere Geländestufe aus der Mindel-/Elster-Kaltzeit (390.000 – 330.000 vor heute) befinden müssen. Diese ist aber hier nicht nachweisbar, weil sie durch die nachfolgende Riß/Saale-Kaltzeit ausgeräumt worden ist, anderenorts rheinaufwärts aber durchaus vorhanden ist.
Nun darf man sich nicht vorstellen, dass der Rhein hier einmal in 160 m Höhe ü. NN geflossen ist. Zu den wichtigen Eigenheiten der Landschaft im Bonner Raum gehört die Tatsache, dass seit einigen Millionen Jahren tektonische Kräfte die Ville angehoben haben und es noch immer tun, während die Köln-Bonner Bucht ein Senkungsgebiet ist. Relativ häufige Erdbeben in unserem Raum wie auch der Vulkanismus und die zahlreichen Mineralquellen zeugen von diesen Kräften. Die Hauptterrasse des Rheins befand sich somit zu der Zeit, als sie vom Rhein überflossen worden ist, nicht wesentlich höher als das heutige Flussniveau und ist dann, wie auch die Mittelterrasse, mit den tektonischen Hebungen in die Höhenlage geraten.
Der Spaziergang vom Rhein zum Alfterer Heimatblick lässt uns in geologischen Zeiträumen denken, die zu unserem Leben genauso gehören wie astronomische Dimensionen. Selbst Teil der Natur, können wir als Menschen über diese für uns unvorstellbaren Maßstäbe aber nur fasziniert staunen.
Die Terrassenstufen des Rheins bei Bonn. Quelle: Wolfgang Schmiedecken 1986
Die Rheindorfer Burg am 25. Februar 1970 mitten im Hochwasser. Quelle: Archiv Franz-Josef Mertens.
Die landschaftliche Lage Bonns. Quelle: Wolfgang Schmiedecken 1986.
Text: Jürgen Haffke 2022
Literatur & Quellen:
- Otto Fränzle: Geomorphologie der Umgebung von Bonn. Erläuterungen zum Blatt NW der geomorphologischen Detailkarte 1 : 25.000. Bonn 1969 (Arbeiten zur Rheinischen Landeskunde 29)
- Wolfgang Schmiedecken: Die rheinische Landschaft bei Bonn. In: Beiträge zur Geschichte von Lessenich-Messdorf, Bd.IV. Lessenich 1986, S.129-141
- Jörg Grunert: Geomorphologische Entwicklung des Bonner Raumes. In: Eberhard Mayer, Klaus Fehn, Peter-W. Höllermann (Hrsg.): Bonn. Stadt und Umland. Festschrift zum 75-jährigen Bestehen der Gesellschaft für Erd- und Völkerkunde zu Bonn. Bonn 1988, S.165–180 (Arbeiten zur Rheinischen Landeskunde 58)
- Hans Dieter Laux, Harald Zepp: Bonn und seine Region. Geoökologische Grundlagen, historische Entwicklung und Zukunftsperspektiven. In: Eckart Stiehl (Hrsg.): Die Stadt Bonn und ihr Umland. Ein geographischer Exkursionsführer. Bonn 1997, S.9–31 (Arbeiten zur Rheinischen Landeskunde 66)
- Bruno P. Kremer (Hrsg.): Naturführer Bonn und Umgebung. Themen und Tipps für NaTouren in Stadt und Umland. 2. aktual. u. erw. Aufl., Bonn 2008
Bonns Stadtstruktur ergibt sich aus dem Nebeneinander eines historisch gewachsenen Kerns (Bonn-Innenstadt), eingemeindeten gewachsenen Dörfern (Graurheindorf, Buschdorf, Endenich usw.), Wachstumszonen und aufgefüllten Zwischenflächen (Nordstadt, Weststadt, Südstadt, Raum zwischen dem Kern und den Dörfern) und regelrecht neu angelegten Stadtteilen (Tannenbusch, Auerberg usw.). Während die gewachsenen, jahrhundertalten Siedlungen (Kern und Dörfer) über identitätsstiftende Bauten, Straßen und Plätze verfügen, die ein historisches Bewusstsein entstehen lassen, ist das bei den Zwischenflächen und den neu angelegten Stadtteilen erheblich schwieriger. Dennoch verfügen auch sie über markante Zeugnisse ihrer historischen Entwicklung.
Diese Zeugnisse offenzulegen und Ihnen den Werdegang des jungen Bonner Stadtteils Auerberg näherzubringen, ist das Ziel der "Historischen Punkte".
Die nachfolgende Karte zeigt Ihnen die Standorte der Stelen, und die Liste daneben nennt die Objektbezeichnungen mit den jeweiligen Adressen. Sowohl über die Liste als auch über die jeweiligen Punkte auf der Karte kommen Sie mit einem Klick direkt zum ausgewählten Objekt.
Wir wünschen viel Spaß beim Lesen!
#10: Evangelisches Gemeindeforum – Vorbild vieler evangelischer Kirchbauten (Helsinkistr. 4)
Als die evangelische Lukaskirche am Kaiser-Karl-Ring 25a am 4. Advent, dem 21. Dezember 1958, eingeweiht worden ist, war sie auch als Zentrum für die evangelischen Christen der wachsenden Nordrandsiedlung gedacht. Aber mit dem Ausbau zur Bundeshauptstadt ging auch das rasante Wachstum vieler Bonner Stadtteile einher: Von 1455 Einwohnern 1956 stieg die Einwohnerzahl Auerbergs, wie sich die Nordrandsiedlung seit 1966 nannte, um mehr als das Doppelte auf 3780 im Jahr 1970. Und sie sollte weiterhin wachsen. Damit vergrößerte sich hier auch die Zahl evangelischer Christen beträchtlich. In diese Expansionsphase fielen die Anfänge des evangelischen Gemeindelebens in Auerberg. Ein Plan von 1963 dokumentiert, wie man Auerberg künftig für 20.000 Einwohner bebauen wollte (Abb. 10.1). Den damaligen Vorstellungen von modernem Städtebau folgend sollten ähnlich wie in Neutannenbusch bis zu 18-geschossige Gebäude um ein neues Einkaufszentrum an einem Markt mit benachbartem katholischen und evangelischen Gemeindezentrum und einem 300 Betten-Krankenhaus an der Bernhardstraße (heute: Kopenhagener Straße) entstehen. Tatsächlich wurde ein Teil dieses Plans seit Ende der 1960er und anfangs der 1970er Jahre umgesetzt: Die größeren Wohnblocks und die Reihenhausanlage entlang der Brüsseler Straße, die Bungalows an der Amsterdamer Straße, das Geschäftszentrum an der Kölnstraße und die großen Gebäude im Bereich der Stockholmer und der Londoner Straße sind der bauliche Niederschlag jener Jahre (Abb. 10.2). Links und rechts der Pariser Straße blieben allerdings weite Flächen noch einige Jahrzehnte lang frei, weil sich Bonns Wachstum verlangsamte und städtebauliche Konzepte sich wandelten. Der angedachte Markt, das neue katholische Gemeindezentrum und das Krankenhaus blieben Planungsphantasie, während sich der Standort des evangelischen Zentrums schon abzeichnete. Zuvor bildeten jedoch zwei Bungalows in der Amsterdamer Straße den bescheidenen Vorläufer, ein Pfarrhaus mit Pfarrer Rolf Schleßmann und seiner Familie und ein Haus für die Gemeindeschwester Gertrud Barnstein. Ein Teil des Pfarrhauses diente mit nur 45 qm als Pfarrbüro und Gemeinderaum, in dem Gottesdienste, Taufen, Konfirmandenunterricht und Begegnungen für alte Menschen stattfanden, der Keller als Jugendtreffpunkt. Infolge der guten Zusammenarbeit mit der katholischen Gemeinde konnten schon bald monatlich die Kirche St. Bernhard und zweimal im Jahr auch St. Margareta in Graurheindorf für Gottesdienste genutzt werden. Selbst Straßengottesdienste gab es unter freiem Himmel auf dem Grundstück des späteren Gemeindeforums. Die ursprüngliche Vorstellung, mit einem Busservice den Gottesdienstbesuch in der Lukaskirche zu ermöglichen, setzte sich nicht durch. Stattdessen mietete die Gemeinde einen größeren Raum (100 qm), die "Bethlehem-Katakombe", im Souterrain des Hochhauses an der Kölnstraße an, gegenüber dem Haupteingang des Nordfriedhofs, der von 1971 bis 1974 zur Verfügung stand. 1971 hatte sich das Presbyterium der Lukaskirchengemeinde nach einigen Widerständen auch zum Bau eines eigenen Gemeindeforums für Auerberg entschlossen und den Bonner Architekten Ernst A. Jann mit den Planungen beauftragt. Kein reiner Sakralraum, sondern ein Versammlungsraum ohne Glockenturm für geistliche und weltliche Veranstaltungen sollte es gemäß dem Zeitgeist werden. Ein zunächst beabsichtigter Bau eines Hochhauses mit Alten- und Behindertenwohnungen, Beratungsstellen und Geschäften wurde nicht umgesetzt. Was dann auf der Grundlage der Planung des Architekten Jann entstand, wurde ein Vorbild für viele evangelische Kirchbauten auch anderenorts. Am 4. Advent 1974 wurde das Evangelische Gemeindeforum Auerberg feierlich eröffnet. Seitdem bildet es einen bis heute viel besuchten Punkt im gesellschaftlichen Leben Auerbergs. Eine schließlich nicht verwirklichte Idee wurde 2004 bis 2006 diskutiert, hier mit der 30 m hohen "Blauen Leiter" ein weithin sichtbares Zeichen zu setzen, das Ausdruck für den Willen zur Integration der über 100 Nationen in Auerberg sein und den Stadtteil optisch an Bonn anschließen wollte (Abb. 10.3). Trotz namhafter Unterstützer und vorliegender Baugenehmigung mangelte es letztlich an einer Finanzierung des Projekts. Es bleibt eine Aufgabe für die Zukunft, Auerberg zu einem identitätsstiftenden Symbol am Platz in seiner neuen Mitte an der Pariser Straße zu verhelfen. Denn weitgehend gemäß dem "Räumlichen Gestaltungs- und Grünordnungskonzept" von 1988 füllte sich nach und nach bis 2016 der große zentrale Freiraum Auerbergs mit weiterer Wohnbebauung und einem Geschäftszentrum an der 1993 eröffneten Straßenbahnlinie zur Innenstadt (Abb. 10.4). Nicht, wie in den 1960er Jahren angedacht, 20.000 Menschen leben heute in diesem Bonner Stadtteil, sondern etwas über 10.000. In den Standorten beider kirchlicher Zentren, der katholischen St. Bernhard Kirche und dem Evangelischen Gemeindeforum, spiegelt sich deutlich die historische Entwicklung von der Nordrandsiedlung zu Auerberg.
Der Plan von 1963 zur Entwicklung Auerbergs sah als Ziel 20.000 Einwohner vor, wurde aber nur zum Teil umgesetzt. Quelle: Bonn 1946-1964. Verwaltungsbericht. Bonn 1964.
Die Postkarte vom Beginn der 1970er Jahre ist sichtbarer Ausdruck des Stolzes über die Neubebauung in Auerberg. Quelle: Stadtarchiv und Stadthistorische Bibliothek Bonn.
Das Evangelische Gemeindeforum mit einer Photomontage des Projektes "Blaue Leiter". Foto: Sammlung Michael Schäfer.
Ausschnitt aus "Räumliches Gestaltungs- und Grünordnungskonzept" Bonn-Auerberg. Quelle: Prospekt der Stadt Bonn 1988.
Text: Jürgen Haffke 2022
Literatur & Quellen:
- Werner Freesen: Vom "Offenen Wohnzimmer" zum Gemeindeforum in Auerberg. In: Lukas-Forum, Ausgabe 18, März–Mai 2004
- Werner Freesen: In elf Monaten von der "Herberge auf Zeit" zur Kirche auf Dauer. In: Lukas-Forum, Ausgabe 53, Juli–Oktober 2015
Bonns Stadtstruktur ergibt sich aus dem Nebeneinander eines historisch gewachsenen Kerns (Bonn-Innenstadt), eingemeindeten gewachsenen Dörfern (Graurheindorf, Buschdorf, Endenich usw.), Wachstumszonen und aufgefüllten Zwischenflächen (Nordstadt, Weststadt, Südstadt, Raum zwischen dem Kern und den Dörfern) und regelrecht neu angelegten Stadtteilen (Tannenbusch, Auerberg usw.). Während die gewachsenen, jahrhundertalten Siedlungen (Kern und Dörfer) über identitätsstiftende Bauten, Straßen und Plätze verfügen, die ein historisches Bewusstsein entstehen lassen, ist das bei den Zwischenflächen und den neu angelegten Stadtteilen erheblich schwieriger. Dennoch verfügen auch sie über markante Zeugnisse ihrer historischen Entwicklung.
Diese Zeugnisse offenzulegen und Ihnen den Werdegang des jungen Bonner Stadtteils Auerberg näherzubringen, ist das Ziel der "Historischen Punkte".
Die nachfolgende Karte zeigt Ihnen die Standorte der Stelen, und die Liste daneben nennt die Objektbezeichnungen mit den jeweiligen Adressen. Sowohl über die Liste als auch über die jeweiligen Punkte auf der Karte kommen Sie mit einem Klick direkt zum ausgewählten Objekt.
Wir wünschen viel Spaß beim Lesen!
#11: Mühlenstumpf – Ein mit Leben erfülltes Denkmal (An der Rheindorfer Burg 9 und 22)
Neben drei Windmühlen (in der Gronau, dicht beim alten Zollgebäude und an der Nordecke der Stadtmauer) gab es eine weitere vor den Toren Bonns. Am Rand der Älteren Niederterrasse des Rheins zum alten Rheinarm, der vom Rheindorfer Bach genutzt wird, befand sich wohl einige Jahrhunderte lang der Standort einer Windmühle, von der seit über 100 Jahren immerhin noch ihr Stumpf zeugt. Dagegen hat die schon 1167 erwähnte Wassermühle, in Nachbarschaft der Windmühle direkt am Rheindorfer Bach gelegen, fast keine auffälligen Spuren hinterlassen. Der Graurheindorfer Straßenname "Zweimühlenweg" erinnert jedoch seit 1928 an die historische Existenz beider Mühlen.
Das Bonner Cassiusstift war im Mittelalter nicht nur im Besitz der Rheindorfer Burg, sondern auch umfangreicher Ländereien in der Umgebung sowie der beiden Mühlen. Erst im Dreißigjährigen Krieg kommt es zu einem Bilddokument, das die Existenz der Windmühle belegt. 1620 entstehen zahlreiche bebilderte Flugblätter, die über das Schicksal der holländischen Inselfestung vor der Siegmündung, der "Pfaffenmütz", berichten. Auf einer dieser Abbildungen sind die hiesige Windmühle und schemenhaft auch die Wassermühle zwischen "Hesigh", d.h. Hersel, und Bonn zu erkennen (Abb. 11.1). Dabei handelte es sich um eine "Deutsche Bockwindmühle", bei der das gesamte Mühlhaus im Wind drehbar und nur der hölzerne Bock fest verankert war. 1792 entstand am Rheindorfer Bach zusätzlich eine mit der Wassermühle verbundene Ölmühle. Im Gefolge der französischen Zeit des Rheinlands 1794 - 1814 wurde der ehemals geistliche Besitz an Privatleute verkauft, so auch 1812 die Windmühle an den Müller Brockhausen, der 1807 schon Besitzer der Wassermühle war. 1827/28 wurden beide Mühlen zum Verkauf angeboten. Die aus Steinen gebaute und ziegelgedeckte Wassermühle besaß damals zwei Gänge mit der darin befindlichen Ölmühle, die in umwechselnden zwei Läufen zum Fruchtmahlen und die Ölmühle auch zum Gerstemahlen eingerichtet waren, und einen Mühlenteich. Dazu gehörten das ebenfalls steinerne, ziegelgedeckte Wohnhaus, "Burghaus" genannt, Kuh-, Pferde- und Schweinestallungen und ein Baum- und Gemüsegarten. Auch die hölzerne Windmühle verfügte über zwei Gänge und dazugehöriges Ackerland. 1831 folgte auf diese Bockwindmühle eine "Holländische Turmwindmühle" mit steinernem Unterbau, dem heutigen Mühlenstumpf, und feststehendem Turm. Nur noch der Kopf mit den Flügeln war drehbar (Abb. 11.2). 1837 ist als Besitzer der Wassermühle Hermann Heinrich Schmidt überliefert. Seine Mühle hat zwei Mahlgänge, zwei Ölpressen, ein Walzenwerk zum Zerquetschen der Ölsaat und ein unterschlächtiges Mühlrad. Die Urkatasterkarte von 1859 liefert den ältesten genauen bildhaften Eindruck des Bachverlaufs, Mühlenteichs, des Wassermühlen- und auch des Windmühlengrundrisses (Abb. 11.3). Die Gabelung des Rheindorfer Bachs unmittelbar vor der Mühle ist heute nur noch erahnbar, dagegen erinnert die leichte Geländemulde der Spielwiese des "Haus Müllestumpe" an den ehemaligen Mühlenteich. 1890 legte der Müller Johann Juchem die Turmwindmühle still, 1899 befindet sie sich im Besitz der Stadt Bonn. 1899 verkaufte Juchem auch die Wassermühle an die städtische Armenverwaltung Bonns. 1900 wurde die Windmühle bis auf ihren Stumpf abgerissen.
Die Fortschreibung der Katasterkarte dokumentiert nicht nur den Abriss der Wassermühle, Wegfall des zweiten Arms des Mühlenbachs und Trockenlegung des Mühlenteichs (1919), sondern auch den 1911 erfolgten Neubau einer Tageserholungsstätte für Lungenkranke. Nach der Nutzung durch verschiedene soziale Organisationen (u.a. "Königin-Juliana-Schule" für Behinderte 1975 – 2002) kam schließlich der Verein "Haus am Müllestumpe e.V." zum Zuge, der hier ein integratives Projekt von Menschen mit und ohne Behinderung umsetzte, was 2009 mit der Eröffnung eines Hotel- und Restaurantbetriebs sowie Ateliers und Werkräumen gelang. 2011 ergänzten in einem angrenzenden Neubau 12 Appartements für Menschen mit Behinderung die Einrichtung.
Der Stumpf der Windmühle erlebte nach dem Abriss der Mühle vielfältige Nutzungen, mal als Eiskeller, Magazin, Werkstatt, mal als Stall. In den 1930er Jahren führte eine steinerne Treppe auf eine Aussichtsplattform mit weitem Blick über das Rheintal. Später wucherten Dornen und Büsche über die vom Verfall bedrohte Anlage. 1983 wies der Ortsausschuss Auerberg auf die Denkmalwürdigkeit des Stumpfes hin. Diesem Vorschlag folgte die Stadt Bonn zwar 1984 mit dem Eintrag in die Denkmalliste, aber an dem vernachlässigten Zustand änderte sich zwei Jahrzehnte lang nichts. Der Wunsch aus Kreisen der Bevölkerung, die Mühle wieder aufzubauen, scheiterte an den Kosten. 2002 kam der örtliche Verband des Deutschen Pfadfinderbundes (DPF) auf die Idee, den Stumpf für die Schaffung eines Vereinsheims herzurichten. 2004 genehmigte die Stadt Bonn diese Initiative, wenn die Pfadfinder in Eigenregie und ohne finanzielle Belastung der Stadt tätig würden. 2005 nahm sich die "NRW-Stiftung" des Projektes an und förderte die unumgänglichen Baumaßnahmen mehrfach bis zuletzt mit beträchtlichen Mitteln. 2007 schloss die Stadt Bonn mit den Pfadfindern einen Nutzungsvertrag, der ihnen das Objekt für 30 Jahre mietfrei überlässt. Die 2008 begonnenen umfangreichen Bauarbeiten haben nach über 3000 ehrenamtlichen Arbeitsstunden erst 13 Jahre später im September 2021 einen nutzbaren Raum mit Strom, Sanitäranlage und grün gestalteter Umgebung geschaffen und jetzt ihren Abschluss gefunden. Neben Spenden vieler Gönner hatte sich schließlich auch das Jugendamt der Stadt Bonn als zweitgrößter Geldgeber nach der NRW-Stiftung eingebracht. Das Denkmal "Mühlenstumpf" ist damit in seinem Bestand nicht nur vor dem Verfall bewahrt, sondern durch das Engagement vieler Idealisten für die Zukunft gesichert worden.
Wer hätte gedacht, dass sich mit den beiden Mühlenstandorten eine derart wechselvolle Geschichte verbindet. Dem Gelände sieht man es jedenfalls nicht an.
Ausschnitt aus einem Flugblatt von 1620, das die Bockwindmühle weit vor den Toren Bonns dokumentiert. Quelle: Brodesser 1994.
Aquatinta des Malers Beissel aus der zweiten Hälfte des 19. Jh. Quelle: Stadtarchiv und Stadthistorische Bibliothek Bonn.
Ausschnitt aus dem Urkataster Bonn Nr.1 Flur 7, 1859. Quelle: Stadt Bonn.
Text: Jürgen Haffke, Michael Göth 2022
Literatur & Quellen:
- Karl Hoch: Grau-Rheindorf. Heimatbuch eines Bonner Vorortes. 1149 – 1949. Festschrift aus Anlaß der Achthundertjahrfeier der Pfarrgemeinde St. Margareta zu Bonn-Grau-Rheindorf. Bonn 1949
- Franz Grünkorn: Der Mühlenstumpf im Westen Auerbergs. Masch.Man. 1983
- Heinrich Brodesser: Die Pfaffenmütz. Eine Inselbefestigung vor der Siegmündung 1620–1623. Ein Katalog der zeitgenössischen Graphik. Troisdorf 1994
- Hans Vogt: Die Rheinischen Windmühlen. Krefeld 2005
- Sabine Harling: "... und der Himmel lächelt auf dieses Eiland herab." 100 Jahre "Haus Müllestumpe", 100 Jahre Bonner Sozialgeschichte und bürgerschaftliches Engagement. Hrsg. Bonner Geschichtswerkstatt e.V. Bonn 2011